物種
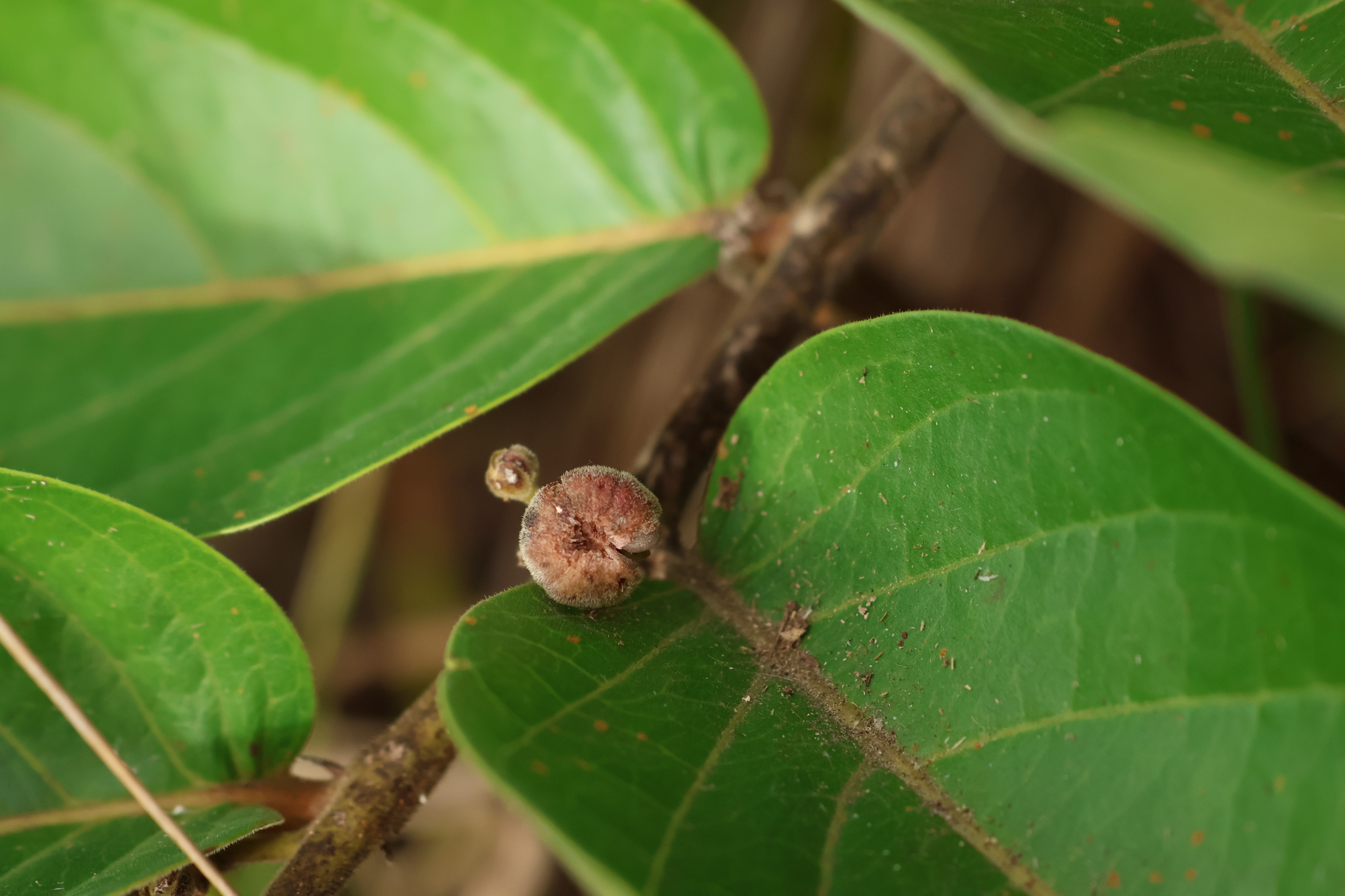
赤血仔 Glochidion zeylanicum var. tomentosum Trimem
[原始紀錄物種] 赤血仔 Glochidion zeylanicum var. tomentosum Trimem
[原始紀錄物種] 赤血仔 Glochidion zeylanicum var. tomentosum Trimem
鑑定
沈明雅 ● 2025-11-14
敏感層級
日期
2025-11-13
地點
24.54861,120.70954,75(原始座標誤差: 30m)
苗栗縣通霄鎮
苗栗縣通霄鎮
記錄者
jun1115
物候
新葉發育開展期, 枝葉成熟期, 果熟期
族群數量
稀少rare
描述
授權
照片授權: CC BY (jun1115)
識別號
03cb2bc2-0b3b-4e82-a1de-f3e8e4c32277 (OccurrenceUUID)
2174817 (nid)
2174817 (nid)
鑑定歷程
| 日期 | 鑑定者 | 學名 | 中名 | 參考文獻 | 備註 |
|---|---|---|---|---|---|
| 2025-11-14 | 沈明雅 | Glochidion zeylanicum tomentosum | 赤血仔 |