物種
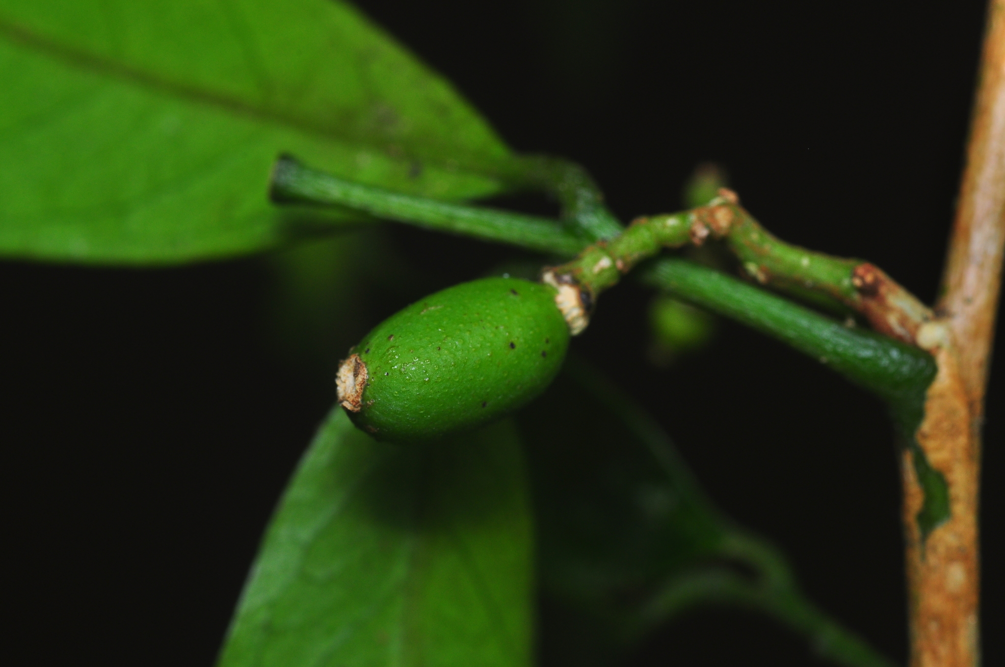
長果山桔 Glycosmis parviflora var. erythrocarpa (Hayata) T.C.Ho
[原始紀錄物種] 長果山桔 Glycosmis parviflora var. erythrocarpa (Hayata) T.C.Ho
[原始紀錄物種] 長果山桔 Glycosmis parviflora var. erythrocarpa (Hayata) T.C.Ho
鑑定
鍾明哲 ● 2023-09-11
敏感層級
日期
2016-03-11
地點
22.42778,120.76658,1117(原始座標誤差: 3000m)
屏東縣春日鄉
屏東縣春日鄉
記錄者
里阿那
物候
結實期
族群數量
中等medium
描述
授權
照片授權: CC BY (里阿那)
識別號
08e1cd91-0be1-499b-bde7-4ffd44989249 (OccurrenceUUID)
2123735 (nid)
2123735 (nid)
鑑定歷程
| 日期 | 鑑定者 | 學名 | 中名 | 參考文獻 | 備註 |
|---|---|---|---|---|---|
| 2023-09-11 | 鍾明哲 | Glycosmis parviflora erythrocarpa | 長果山桔 |