移至主內容
物種
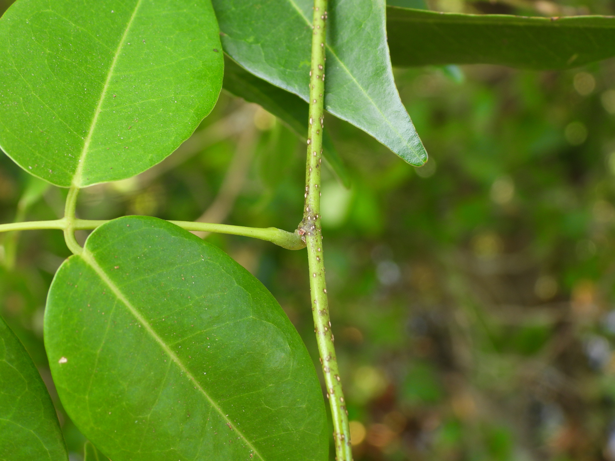
三葉魚藤 Derris trifoliata Lour.
[原始紀錄物種] 三葉魚藤 Derris trifoliata Lour.
鑑定
鍾明哲 ● 2026-03-10
敏感層級
日期
2025-10-26
地點
23.01939,120.13668,2
台南市安南區
記錄者
物候
枝葉成熟期
族群數量
常見common
描述
授權
照片授權: CC BY (尤)
識別號
094bfedf-cfba-4b26-9d84-0ac5eec01e6a (OccurrenceUUID)
2184295 (nid)
鑑定歷程
日期 鑑定者 學名 中名 參考文獻 備註
2026-03-10 鍾明哲 Derris trifoliata 三葉魚藤