移至主內容
物種
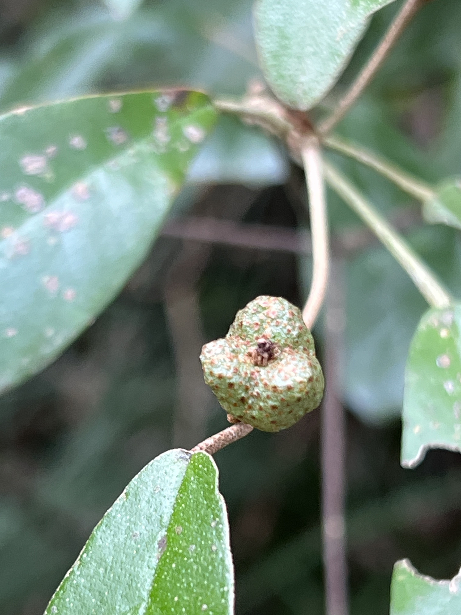
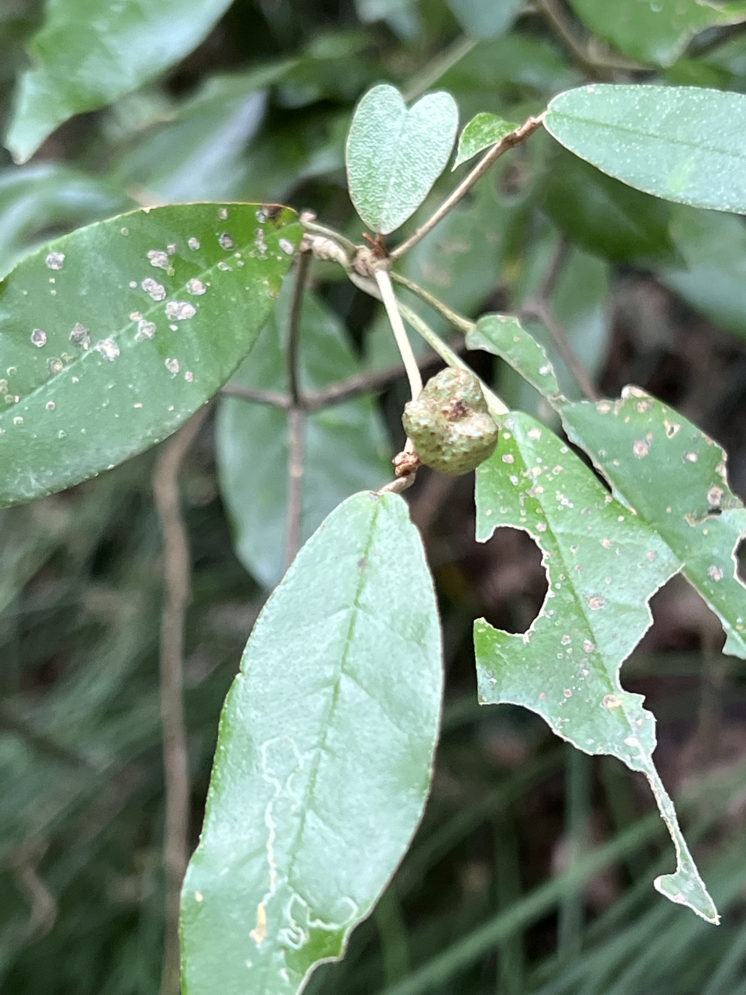
裏白巴豆 Croton cascarilloides Raeusch.
[原始紀錄物種] 裏白巴豆 Croton cascarilloides Raeusch.
鑑定
沈明雅 ● 2025-06-25
敏感層級
日期
2025-03-01
地點
22.21575,120.79981,199(原始座標誤差: 30m)
屏東縣獅子鄉 雙流 帽子山
記錄者
Henry Chen
物候
結實期, 果熟期
族群數量
一些some
描述
授權
照片授權: CC BY (Henry Chen)
識別號
1233f654-cf5f-4ba8-8f51-cc0c5cfd4aa0 (OccurrenceUUID)
2155925 (nid)
鑑定歷程
日期 鑑定者 學名 中名 參考文獻 備註
2025-06-25 沈明雅 Croton cascarilloides 裏白巴豆