移至主內容
物種
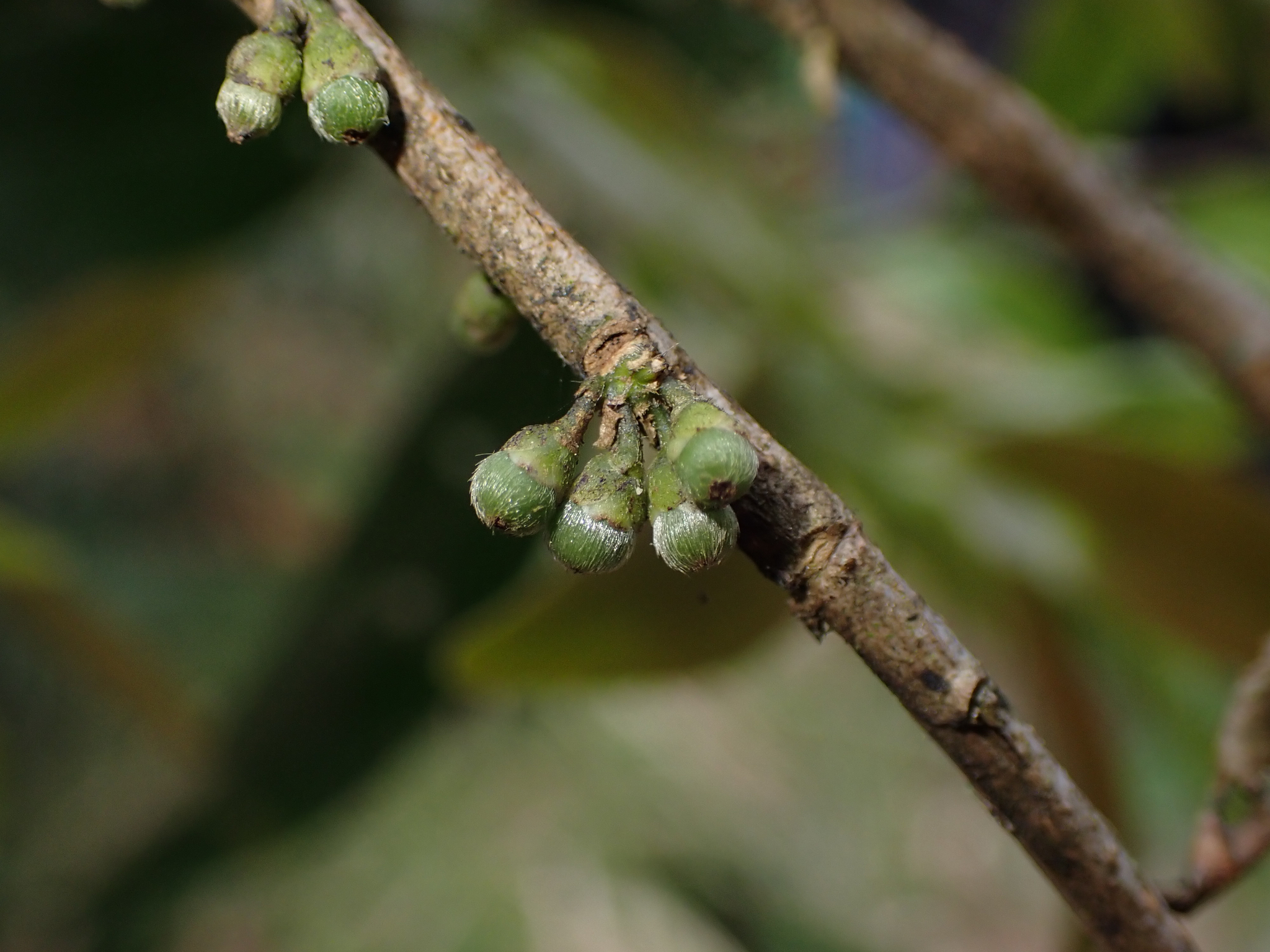
浸水營柃木 Eurya lui Y.H.Tseng & Y.Hung Wu
[原始紀錄物種] 浸水營柃木 Eurya strigillosa Hayata var. shinsuiensis
鑑定
鍾明哲 ● 2021-04-26 ● 學名於最後鑑定後更名
敏感層級
日期
2021-04-04
地點
22.40802,120.76243
屏東縣春日鄉
記錄者
Ching
物候
結實期
族群數量
中等medium
描述
授權
照片授權: CC BY (Ching)
識別號
14423e0e-5b2c-4b18-9adb-e1281428ab52 (OccurrenceUUID)
2059500 (nid)
鑑定歷程
日期 鑑定者 學名 中名 參考文獻 備註
2021-04-26 鍾明哲 Eurya strigillosa