移至主內容
物種
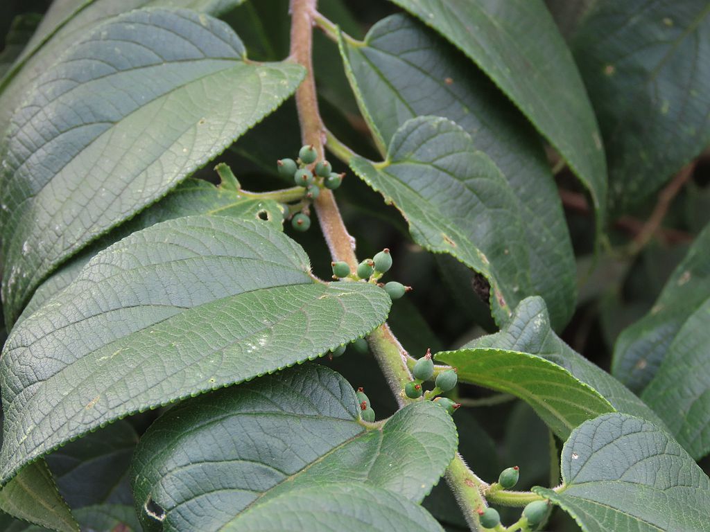
山黃麻 Trema orientale (L.) Blume
[原始紀錄物種] 山黃麻 Trema orientalis (L.) Blume
鑑定
鍾明哲 ● 2021-11-20 ● 學名於最後鑑定後更名
敏感層級
日期
2021-11-14
地點
25.07367,121.39685
新北市林口區 老公崎步道
記錄者
鍾惟旻
物候
枝葉成熟期, 結實期
族群數量
常見common
描述
授權
照片授權: CC BY (鍾惟旻)
識別號
16bea4ef-a173-49c8-b69a-7cd98bfaa147 (OccurrenceUUID)
2074050 (nid)
鑑定歷程
日期 鑑定者 學名 中名 參考文獻 備註
2021-11-20 鍾明哲 Trema orientalis 山黃麻