移至主內容
物種
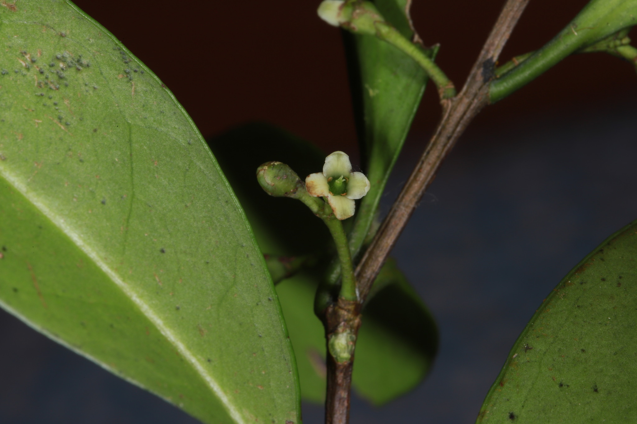
福建賽衛矛 Microtropis fokienensis Dunn
[原始紀錄物種] 福建賽衛矛 Microtropis fokienensis Dunn
鑑定
鍾明哲 ● 2024-03-02
敏感層級
日期
2024-02-29
地點
22.17011,120.72662,667
屏東縣獅子鄉
記錄者
哇操 怎麼有棵樹啊
物候
盛花期
族群數量
一些some
描述
恆春賽衛矛
授權
照片授權: CC BY (哇操 怎麼有棵樹啊)
識別號
18d0a720-0161-473b-a34c-4e9f059d74be (OccurrenceUUID)
2137987 (nid)
鑑定歷程
日期 鑑定者 學名 中名 參考文獻 備註
2024-03-02 鍾明哲 Microtropis fokienensis 福建賽衛矛