移至主內容
物種
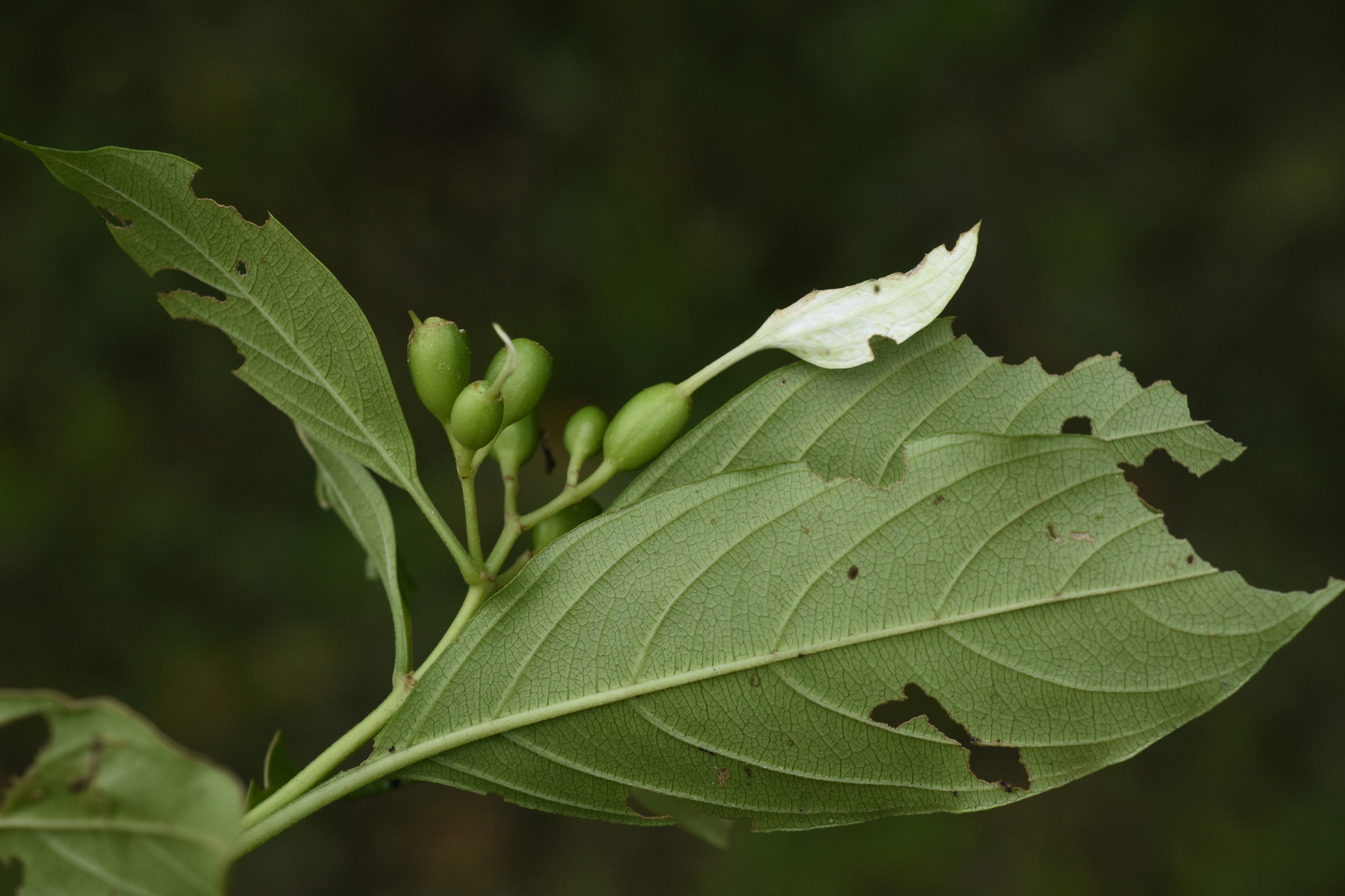
玉葉金花 Mussaenda parviflora Miq.
[原始紀錄物種] 玉葉金花 Mussaenda parviflora Miq.
鑑定
鍾明哲 ● 2023-09-11
敏感層級
日期
2019-05-22
地點
22.04379,121.54903,357(原始座標誤差: 3000m)
台東縣蘭嶼鄉
記錄者
里阿那
物候
開花期, 盛花期
族群數量
中等medium
描述
授權
照片授權: CC BY (里阿那)
識別號
1f4d521d-cd37-4176-8e23-cf9b0983e310 (OccurrenceUUID)
2121182 (nid)
鑑定歷程
日期 鑑定者 學名 中名 參考文獻 備註
2023-09-11 鍾明哲 Mussaenda parviflora 玉葉金花