移至主內容
物種
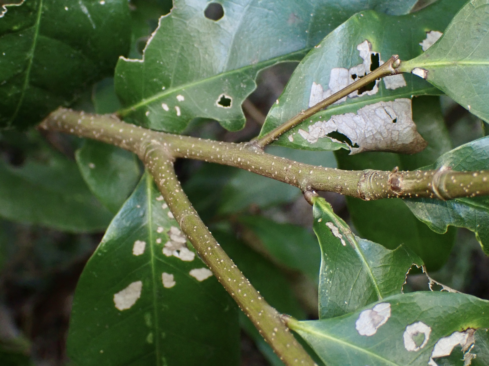
長尾栲 Castanopsis carlesii (Hemsl.) Hayata
[原始紀錄物種] 長尾栲 Castanopsis carlesii (Hemsl.) Hayata
鑑定
鍾明哲 ● 2025-12-20
敏感層級
日期
2025-11-24
地點
25.03301,121.60905,50
台北市南港區
記錄者
Jenny Tsai
物候
不確定
族群數量
一些some
描述
授權
照片授權: CC BY (Jenny Tsai)
識別號
2f8a94ea-4c03-49b1-8682-4242e57d5f46 (OccurrenceUUID)
2175307 (nid)
鑑定歷程
日期 鑑定者 學名 中名 參考文獻 備註
2025-12-20 鍾明哲 Castanopsis carlesii 長尾栲