物種
鑑定
張家昀 ● 2020-03-10 ● 學名於最後鑑定後更名
敏感層級
日期
2019-12-22
地點
22.83703,121.03204(原始座標誤差: 5000m)
台東縣卑南鄉 台東山區
台東縣卑南鄉 台東山區
記錄者
陳慧珠
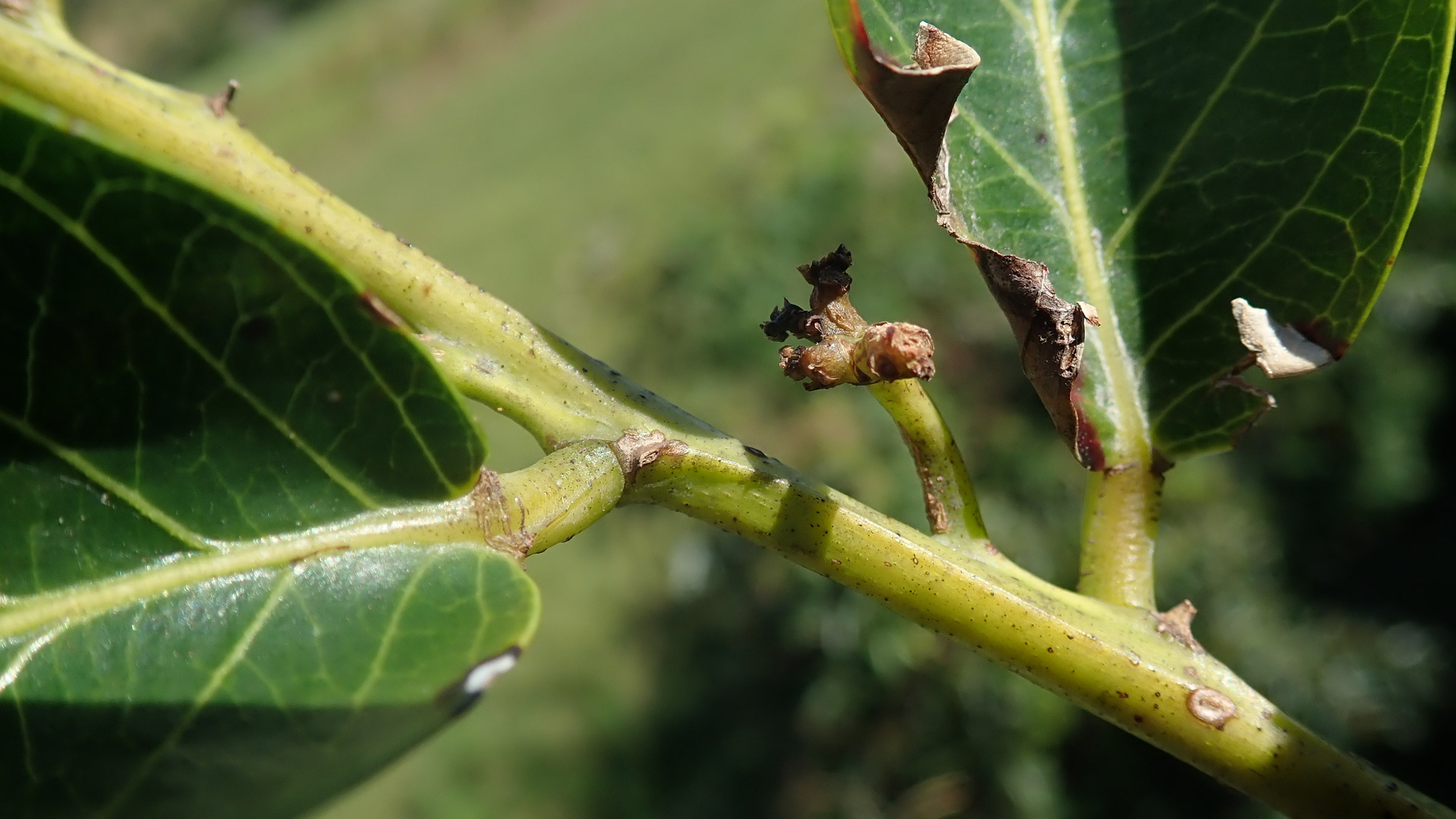
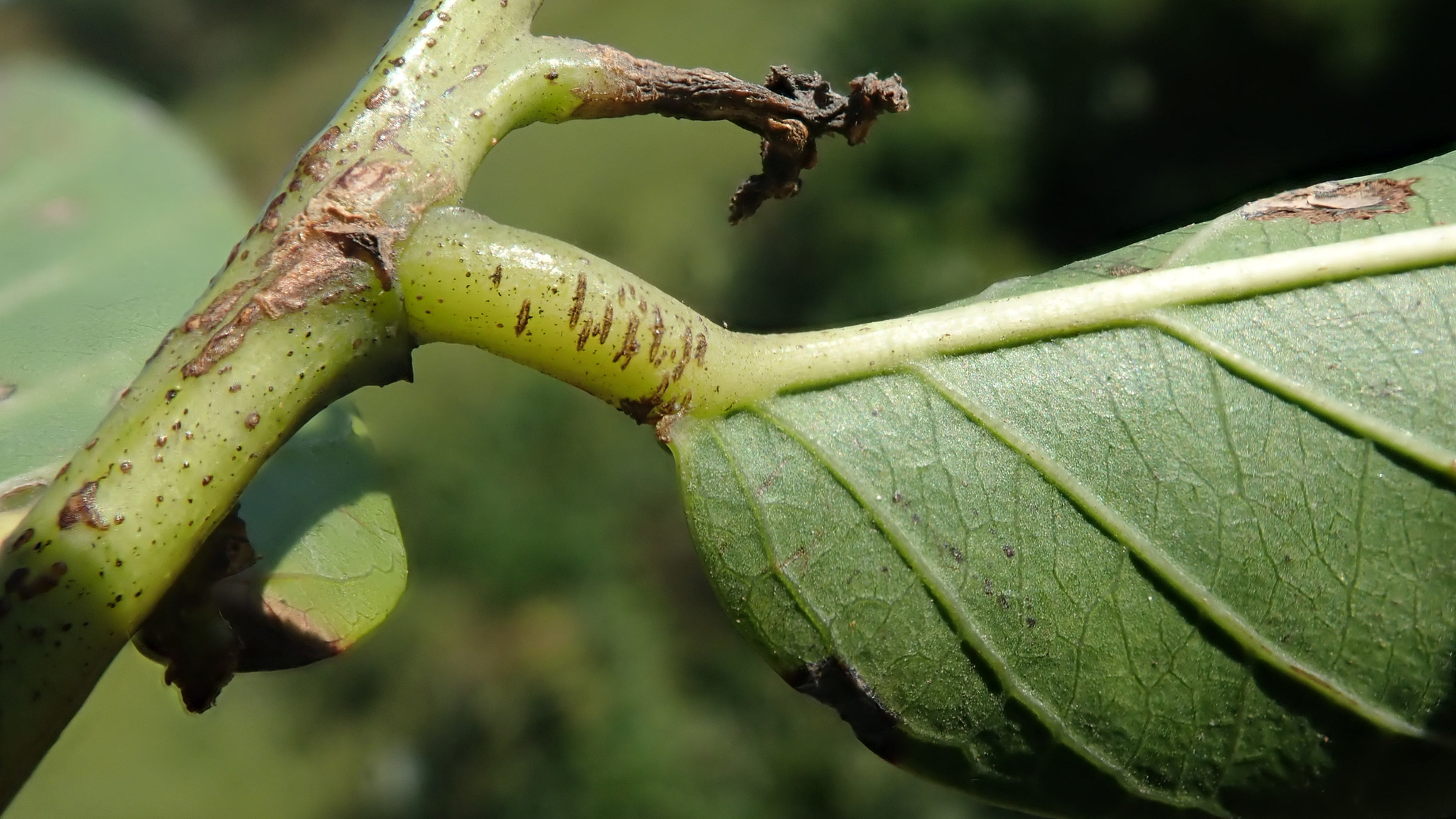
物候
結實期, 果熟期, 落果期
族群數量
描述
授權
照片授權: CC BY (陳慧珠)
識別號
325155fc-21f5-4109-9f5a-46177010167c (OccurrenceUUID)
2017862 (nid)
2017862 (nid)
鑑定歷程
| 日期 | 鑑定者 | 學名 | 中名 | 參考文獻 | 備註 |
|---|---|---|---|---|---|
| 2020-03-10 | 張家昀 | Glochidion zeylanicum |