物種
鑑定
鍾明哲 ● 2024-01-06
敏感層級
輕度
日期
2023-11-12
地點
23.31,120.51,828
台南市白河區 台南白河大凍山區
台南市白河區 台南白河大凍山區
記錄者
范力中
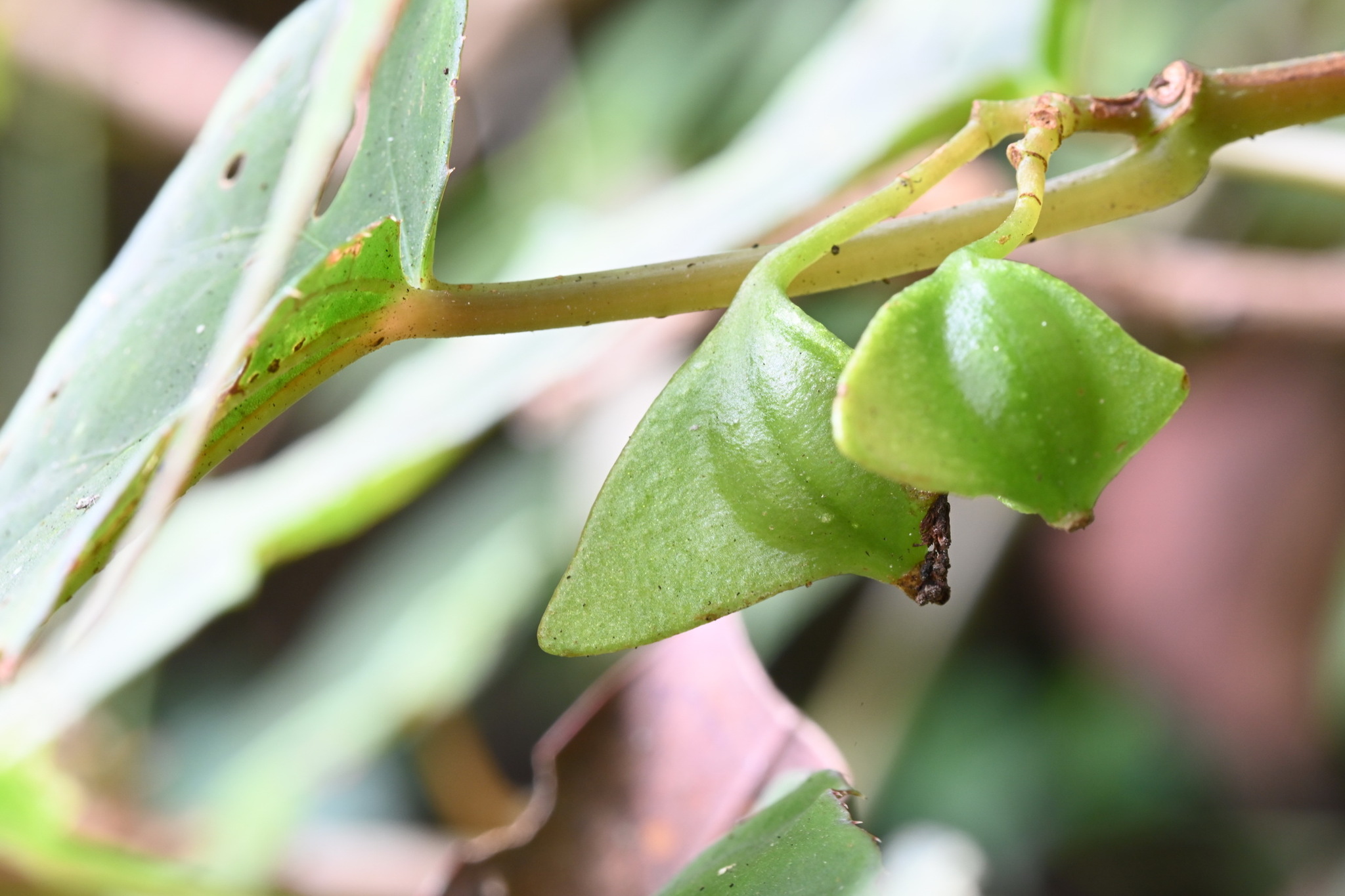
物候
花苞發育期, 開花期, 盛花期, 結實期
族群數量
稀少rare
描述
生長於林道旁
授權
照片授權: CC BY (范力中)
識別號
3679444d-bd16-49b3-ac71-f8444a219093 (OccurrenceUUID)
2133281 (nid)
2133281 (nid)
鑑定歷程
| 日期 | 鑑定者 | 學名 | 中名 | 參考文獻 | 備註 |
|---|---|---|---|---|---|
| 2024-01-06 | 鍾明哲 | Begonia lukuana | 鹿谷秋海棠 |