移至主內容
物種
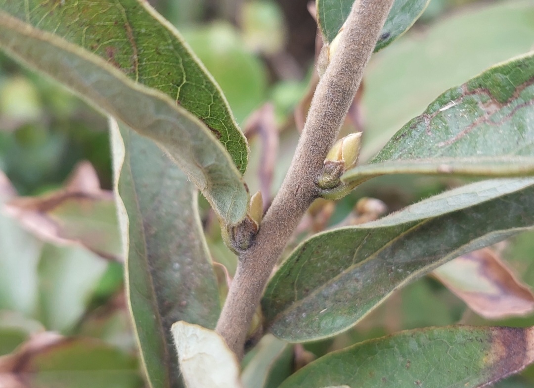
白葉釣樟 Lindera glauca (Siebold & Zucc.) Blume
[原始紀錄物種] 白葉釣樟 Lindera glauca (Siebold & Zucc.) Blume
鑑定
林家榮 ● 2025-12-21
敏感層級
日期
2024-12-21
地點
25.11057,121.28286,63
桃園市蘆竹區
記錄者
jun1115
物候
枝葉成熟期, 落葉期
族群數量
一些some
描述
授權
照片授權: CC BY (jun1115)
識別號
37870201-357f-4230-a1e5-0fe3c14e9c4f (OccurrenceUUID)
2175143 (nid)
鑑定歷程
日期 鑑定者 學名 中名 參考文獻 備註
2025-12-21 林家榮 Lindera glauca 白葉釣樟