移至主內容
物種
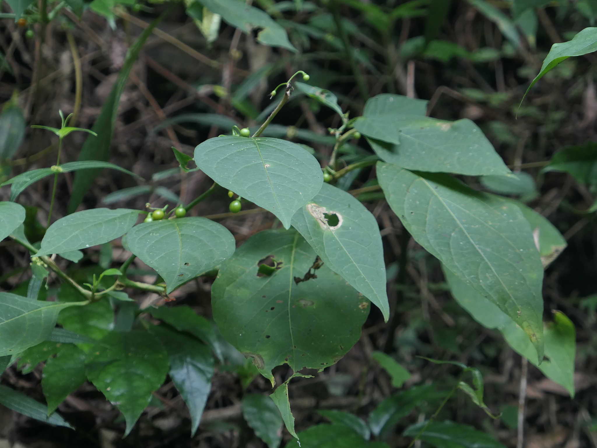
龍珠 Tubocapsicum anomalum (Franch. & Sav.) Makino
[原始紀錄物種] 龍珠屬 Tubocapsicum
鑑定
鍾明哲 ● 2022-09-03
敏感層級
日期
2022-07-28
地點
23.60688,120.71001
雲林縣古坑鄉 石壁
記錄者
何鳳
物候
結實期
族群數量
描述
授權
照片授權: CC BY (何鳳)
識別號
37c21785-56eb-4009-a122-2fa08b90fb43 (OccurrenceUUID)
2092992 (nid)
鑑定歷程
日期 鑑定者 學名 中名 參考文獻 備註
2022-09-03 鍾明哲 Tubocapsicum anomalum 龍珠