移至主內容
物種
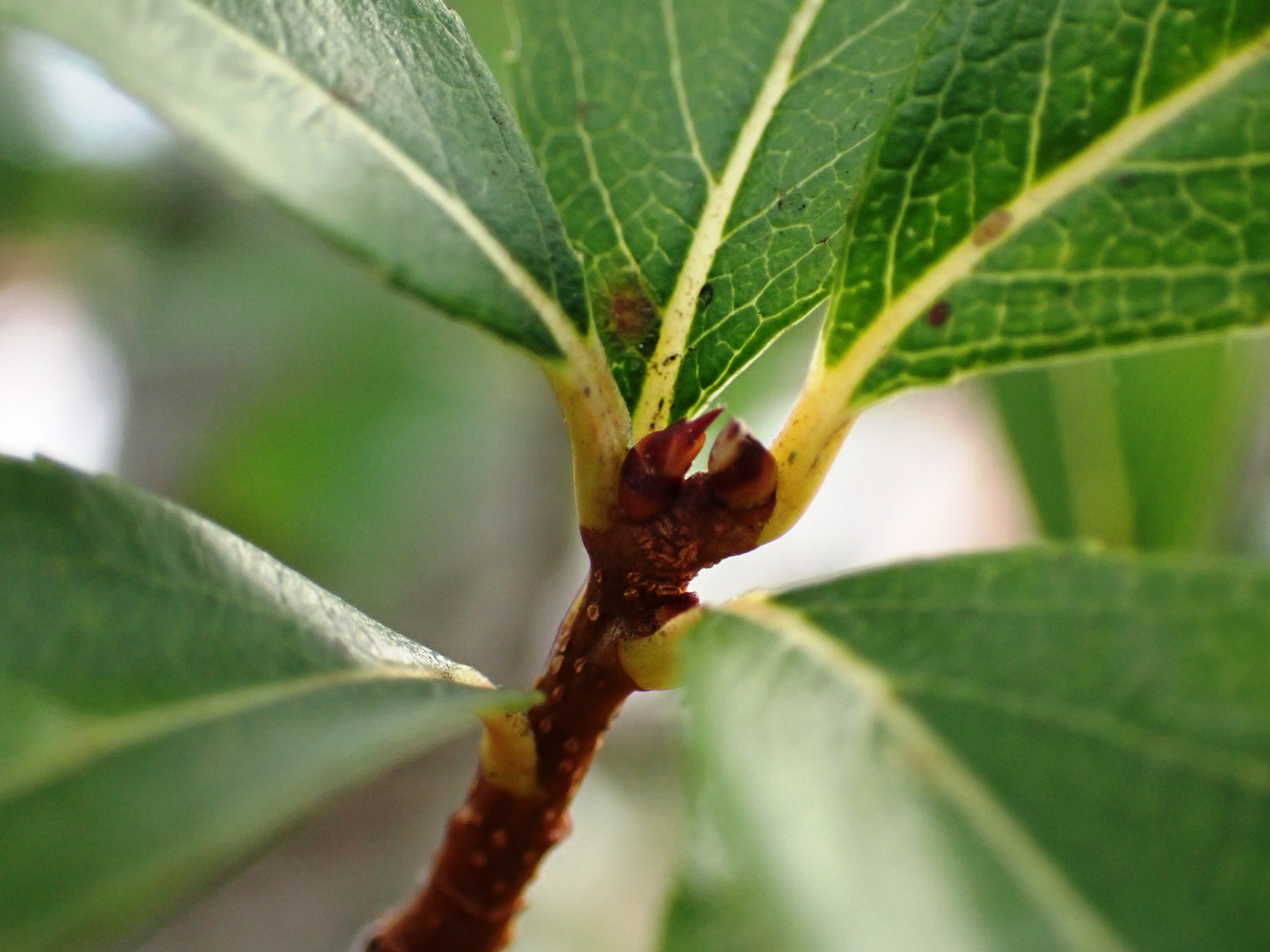
臺灣石楠 Pourthiaea lucida Decne. (圈養/栽植)
[原始紀錄物種] 臺灣石楠 Photinia lucida (Decne.) C.K.Schneid.
鑑定
葉子 ● 2020-05-26 ● 學名於最後鑑定後更名
敏感層級
日期
2020-05-24
地點
22.00488,120.74272
屏東縣恆春鎮 石牌公園
記錄者
顏士傑
物候
枝葉成熟期, 開花期, 結實期
族群數量
一些some
描述
授權
照片授權: CC BY (顏士傑)
識別號
37e4eb18-2710-4a5a-84dd-2a39b58debfe (OccurrenceUUID)
2035214 (nid)
鑑定歷程
日期 鑑定者 學名 中名 參考文獻 備註
2020-05-26 葉子 Photinia lucida