移至主內容
物種
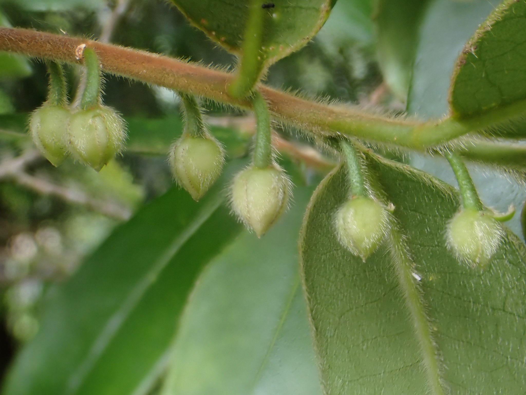
毛柱楊桐 Adinandra lasiostyla Hayata
[原始紀錄物種] 毛柱楊桐 Adinandra lasiostyla Hayata
鑑定
張家昀 ● 2020-07-29
敏感層級
日期
2020-07-26
地點
24.26716,120.99877
台中市和平區
記錄者
陳佩華
物候
花苞發育期
族群數量
中等medium
描述
授權
照片授權: CC BY (陳佩華)
識別號
3ba9166c-2e5a-4e40-bee8-b9b5cda7d426 (OccurrenceUUID)
2042493 (nid)
鑑定歷程
日期 鑑定者 學名 中名 參考文獻 備註
2020-07-29 張家昀 Adinandra lasiostyla