移至主內容
物種
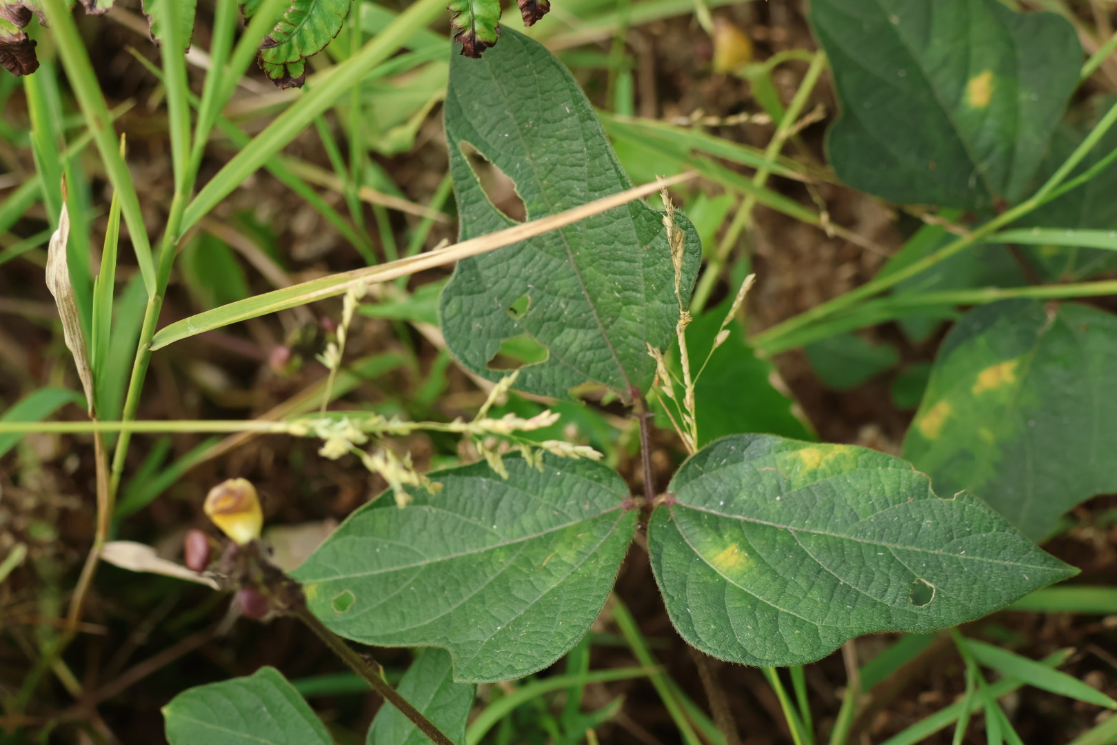
曲毛豇豆 Vigna reflexopilosa Hayata
[原始紀錄物種] 曲毛豇豆 Vigna reflexopilosa Hayata
鑑定
鍾明哲 ● 2026-02-02
敏感層級
日期
2026-01-30
地點
24.30984,120.73931,273
台中市后里區
記錄者
jun1115
物候
枝葉成熟期, 開花期, 結實期, 果熟期
族群數量
一些some
描述
授權
照片授權: CC BY (jun1115)
識別號
3ccd727a-5b70-4d87-afdc-3ed780140000 (OccurrenceUUID)
2182917 (nid)
鑑定歷程
日期 鑑定者 學名 中名 參考文獻 備註
2026-02-02 鍾明哲 Vigna reflexopilosa 曲毛豇豆