移至主內容
物種
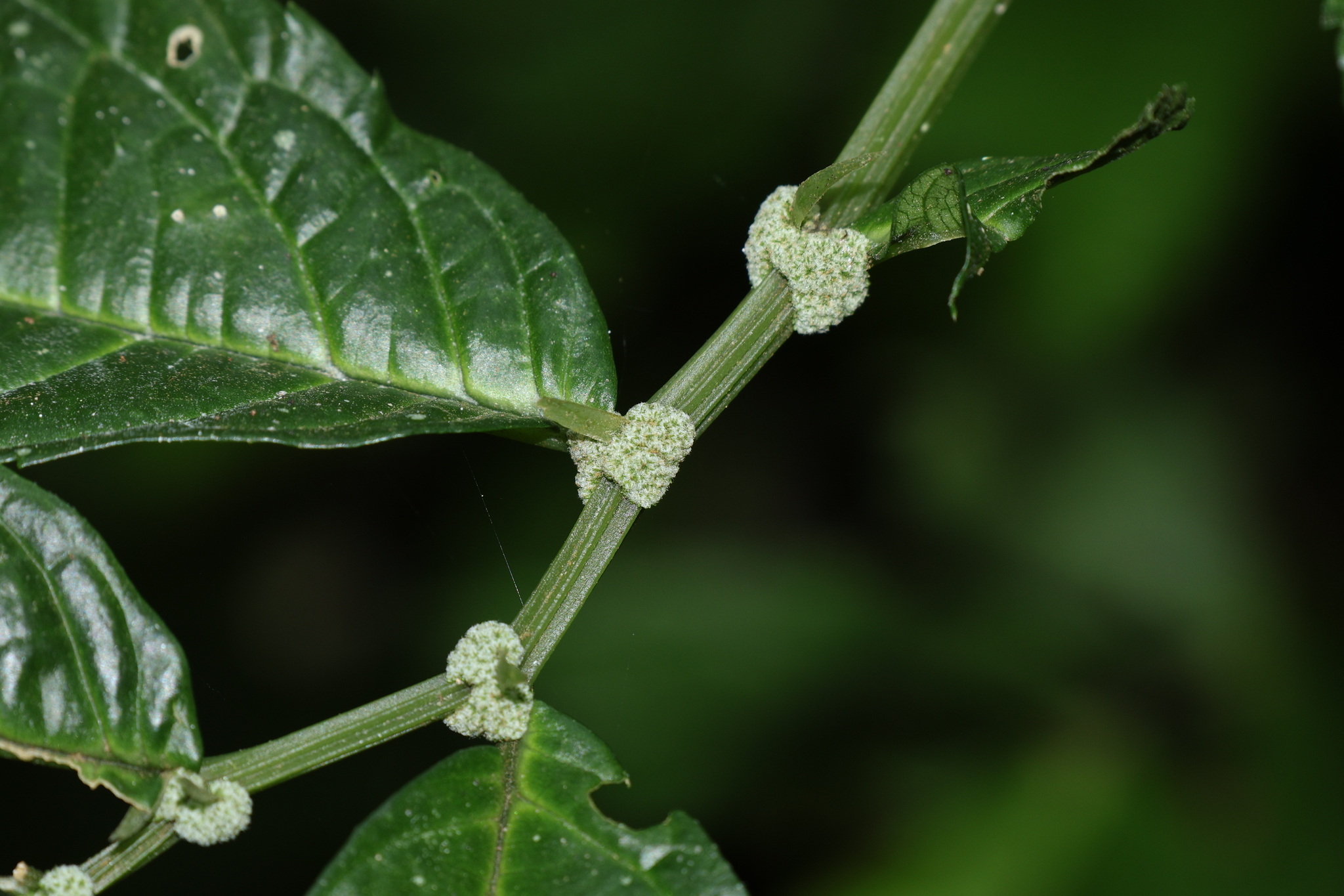
長圓樓梯草 Elatostema oblongifolium S.H.Fu
[原始紀錄物種] 長圓樓梯草 Elatostema oblongifolium S.H.Fu
鑑定
鍾明哲 ● 2025-10-03
敏感層級
輕度
日期
2025-10-03
地點
24.4,120.97,1155
苗栗縣泰安鄉
記錄者
jun1115
物候
枝葉成熟期, 開花期
族群數量
中等medium
描述
授權
照片授權: CC BY (jun1115)
識別號
3eccb9de-b063-458b-b3b8-136afd2bbe31 (OccurrenceUUID)
2171693 (nid)
鑑定歷程
日期 鑑定者 學名 中名 參考文獻 備註
2025-10-03 鍾明哲 Elatostema oblongifolium 長圓樓梯草