移至主內容
物種
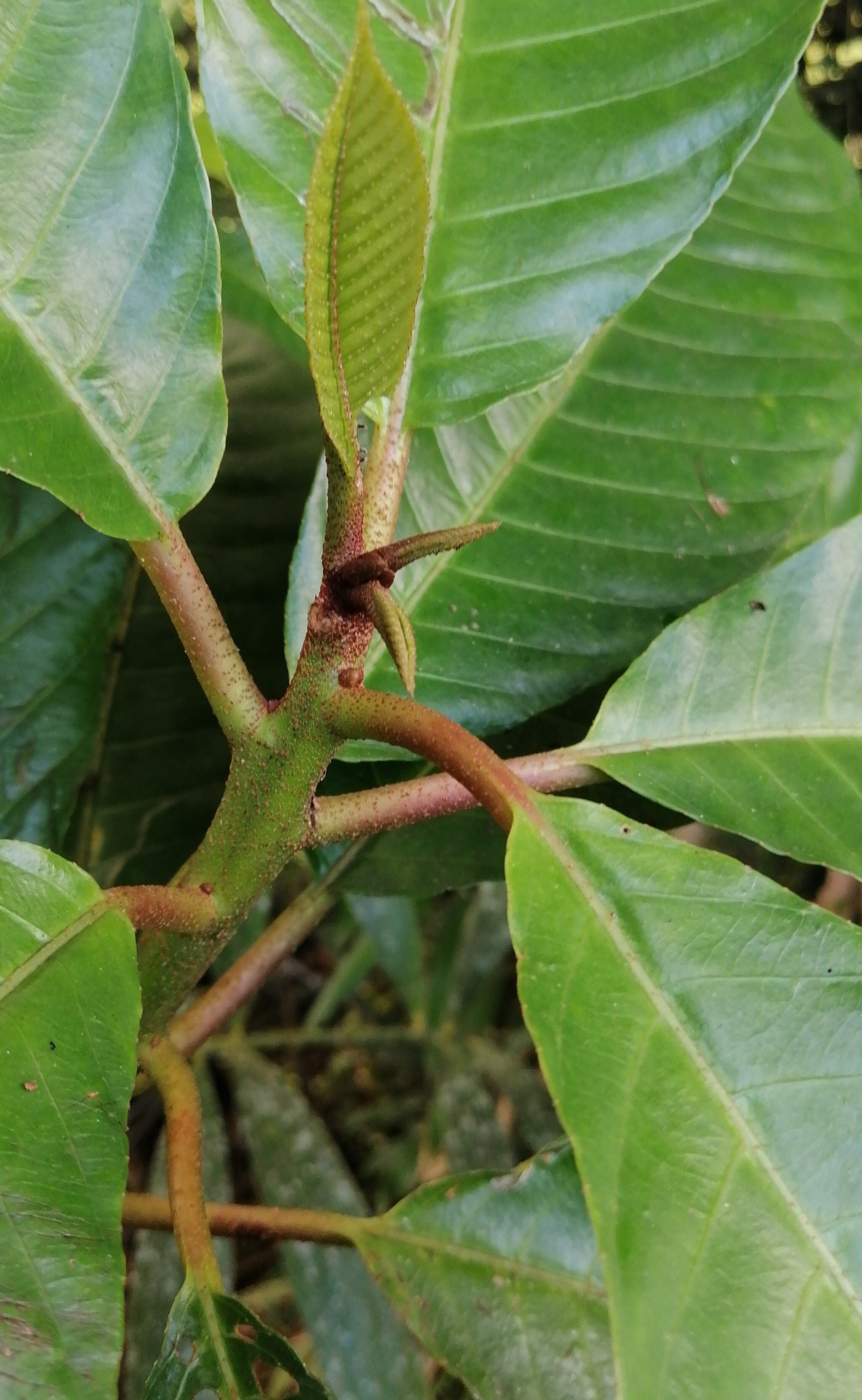
水冬瓜 Saurauia tristyla DC.
[原始紀錄物種] 水冬瓜 Saurauia tristyla var. oldhamii (Hemsl.) Finet & Gagnep.
鑑定
鍾明哲 ● 2021-10-06 ● 學名於最後鑑定後更名
敏感層級
日期
2021-09-29
地點
23.37749,121.38882
花蓮縣玉里鎮
記錄者
水母丁
物候
新葉發育開展期, 枝葉成熟期, 結實期
族群數量
描述
綠保田區
授權
照片授權: CC BY (水母丁)
識別號
3ef5d53c-e519-4171-9880-56a1dfee7351 (OccurrenceUUID)
2071282 (nid)
鑑定歷程
日期 鑑定者 學名 中名 參考文獻 備註
2021-10-06 鍾明哲 Saurauia tristyla oldhamii 水冬瓜