移至主內容
物種
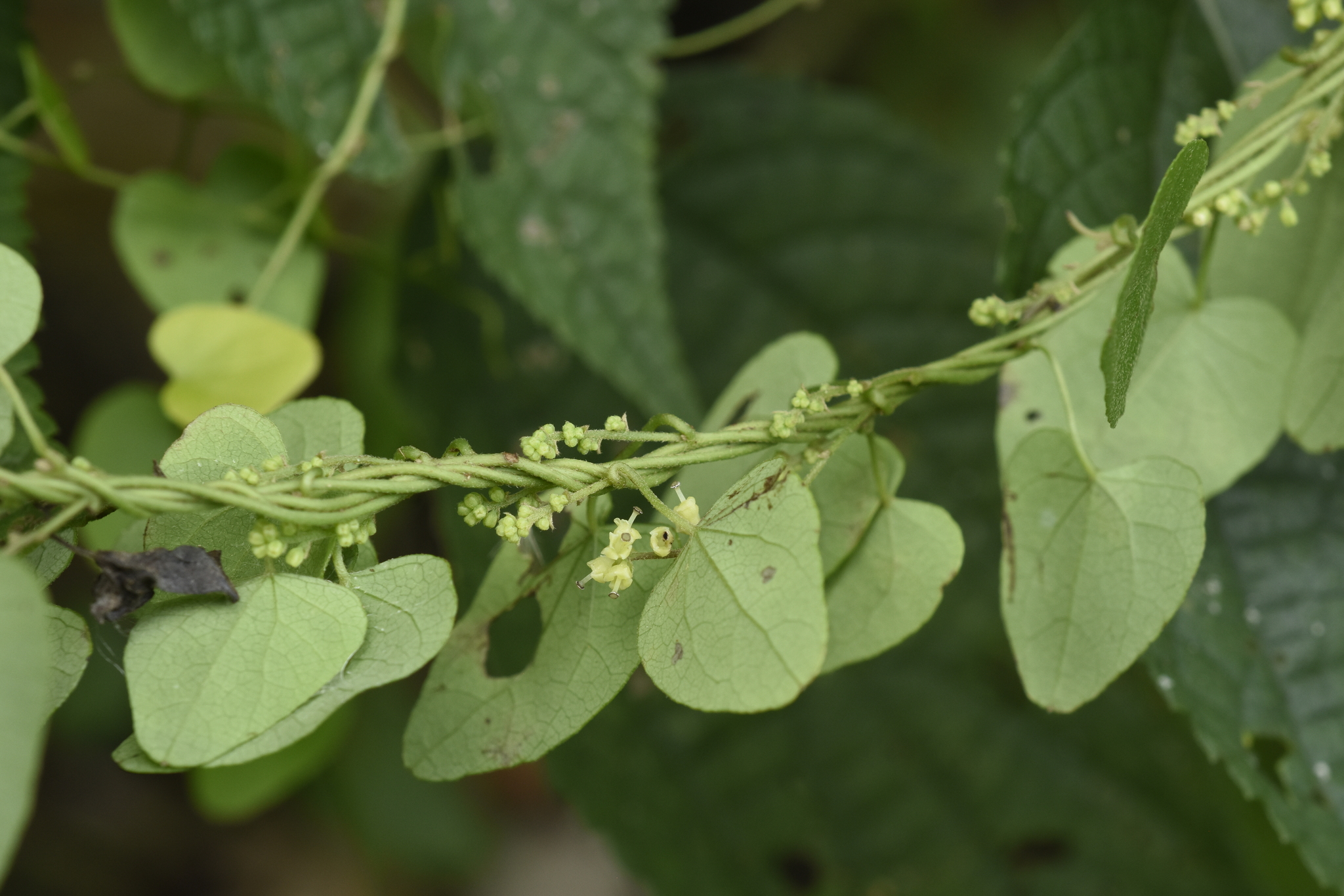
土防巳 Cyclea gracillima Diels
[原始紀錄物種] 土防巳 Cyclea gracillima Diels
鑑定
鍾明哲 ● 2023-10-02
敏感層級
日期
2019-06-22
地點
22.54651,120.71901,1757(原始座標誤差: 5000m)
屏東縣來義鄉
記錄者
里阿那
物候
枝葉成熟期
族群數量
中等medium
描述
授權
照片授權: CC BY (里阿那)
識別號
4dc04592-5f36-4fa0-8b98-5120ff21ec6c (OccurrenceUUID)
2125596 (nid)
鑑定歷程
日期 鑑定者 學名 中名 參考文獻 備註
2023-10-02 鍾明哲 Cyclea gracillima 土防巳