移至主內容
物種
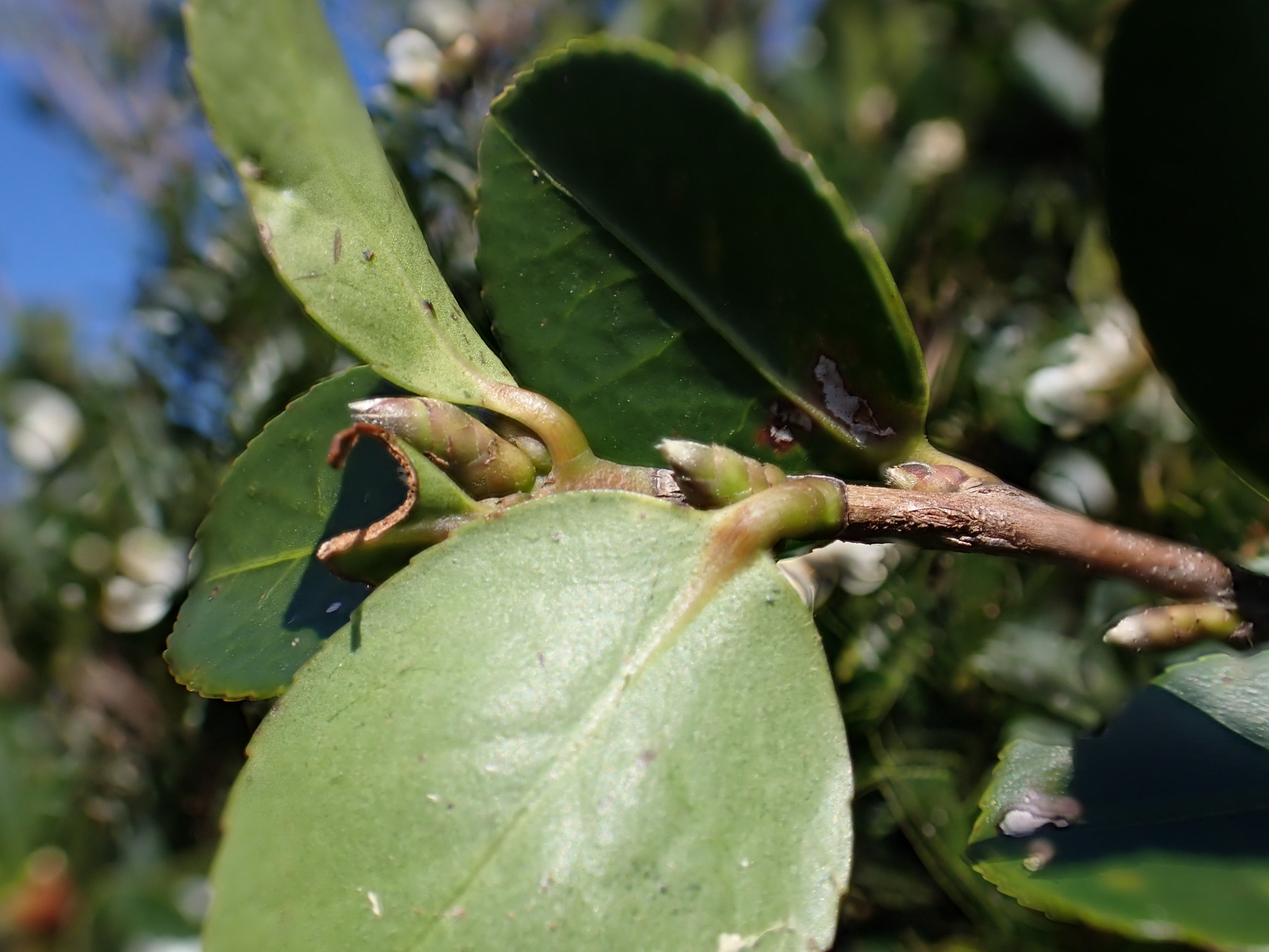
恆春山茶 Camellia hengchunensis C.E.Chang
[原始紀錄物種] 恆春山茶 Camellia hengchunensis C.E.Chang
鑑定
鍾明哲 ● 2021-12-07
敏感層級
輕度
日期
2021-11-18
地點
22.07,120.8
屏東縣牡丹鄉
記錄者
陳慧珠
物候
新葉發育開展期, 盛花期
族群數量
中等medium
描述
在四林格山稜線大開,可惜這座山要上來一趟不容易了!
授權
照片授權: CC BY (陳慧珠)
識別號
4fc306fa-4161-46f0-8471-61f95f56103f (OccurrenceUUID)
2074742 (nid)
鑑定歷程
日期 鑑定者 學名 中名 參考文獻 備註
2021-12-07 鍾明哲 Camellia hengchunensis 恆春山茶