物種
鑑定
鍾明哲 ● 2025-11-09
敏感層級
日期
2025-11-09
地點
25.03351,121.58017,13
台北市信義區 永春陂濕地公園
台北市信義區 永春陂濕地公園
記錄者
Jenny Tsai
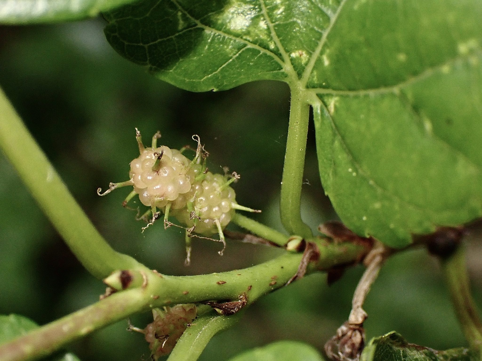
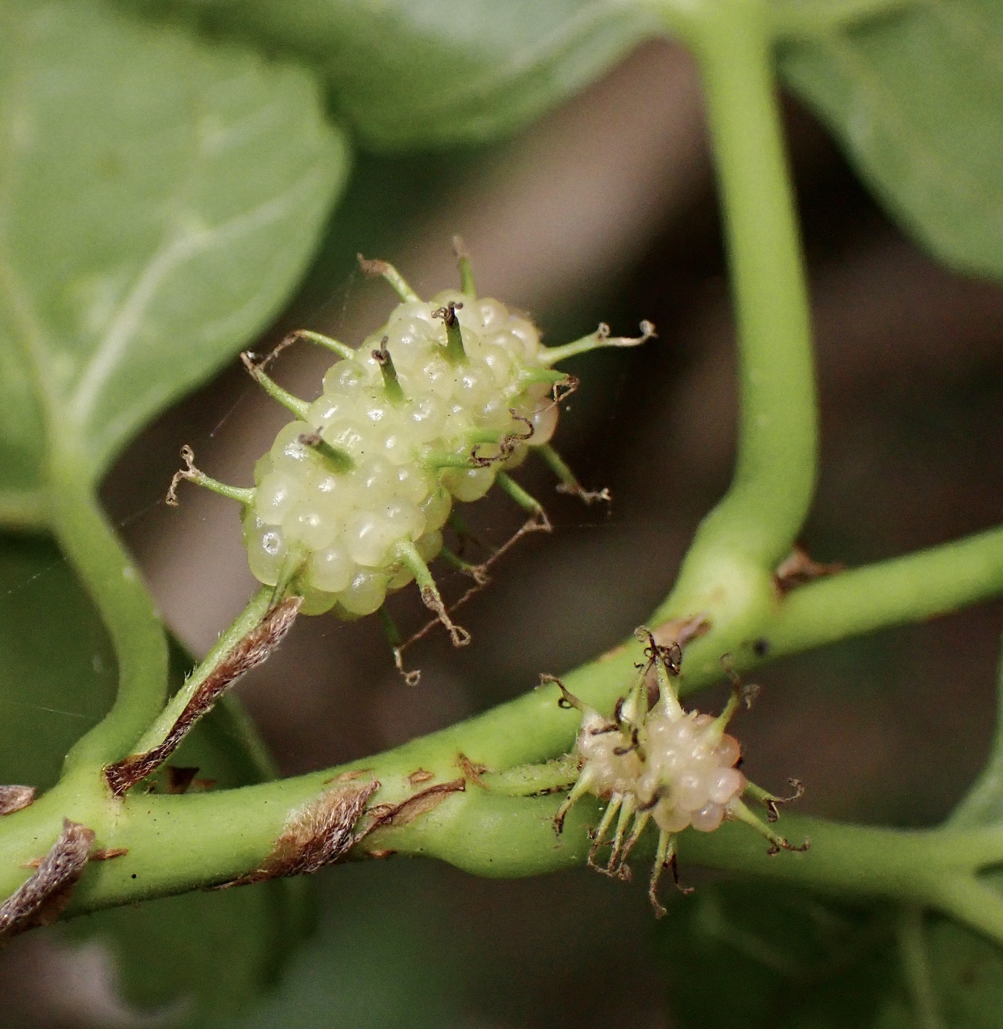
物候
結實期
族群數量
一些some
描述
授權
照片授權: CC BY (Jenny Tsai)
識別號
5375e501-6168-4c44-91fd-63e513055140 (OccurrenceUUID)
2174705 (nid)
2174705 (nid)
鑑定歷程
| 日期 | 鑑定者 | 學名 | 中名 | 參考文獻 | 備註 |
|---|---|---|---|---|---|
| 2025-11-09 | 鍾明哲 | Morus australis | 小葉桑 |