移至主內容
物種
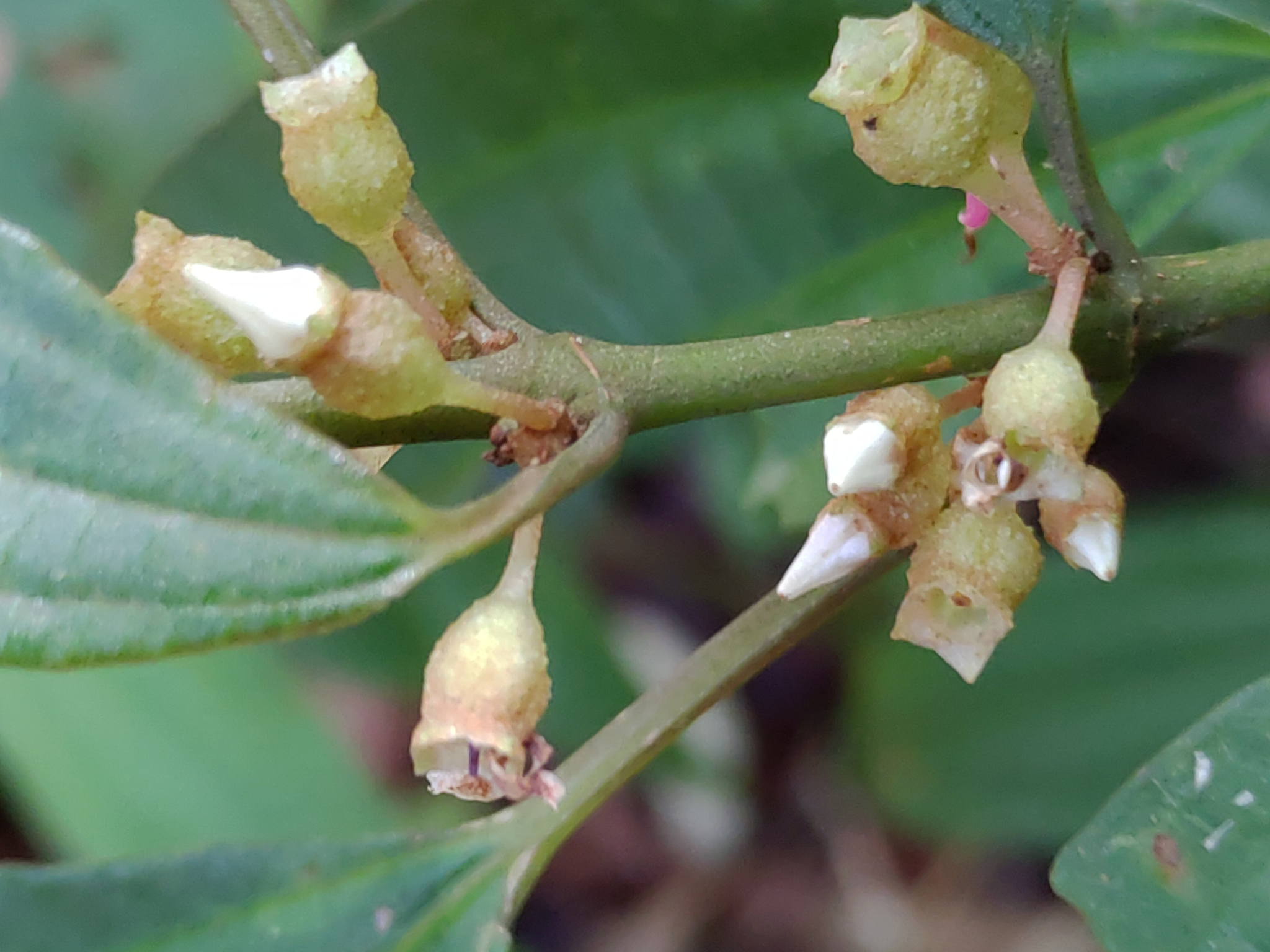
柏拉木 Blastus cochinchinensis Lour.
[原始紀錄物種] 柏拉木 Blastus cochinchinensis Lour.
鑑定
葉子 ● 2020-07-05
敏感層級
日期
2020-07-04
地點
24.38247,120.81877(原始座標誤差: 1km)
苗栗縣三義鄉
記錄者
Hoppon
物候
花苞發育期, 開花期, 結實期
族群數量
一些some
描述
授權
照片授權: CC BY (Hoppon)
識別號
53b75aee-1429-471f-af69-086f72a70ac6 (OccurrenceUUID)
2039478 (nid)
鑑定歷程
日期 鑑定者 學名 中名 參考文獻 備註
2020-07-05 葉子 Blastus cochinchinensis