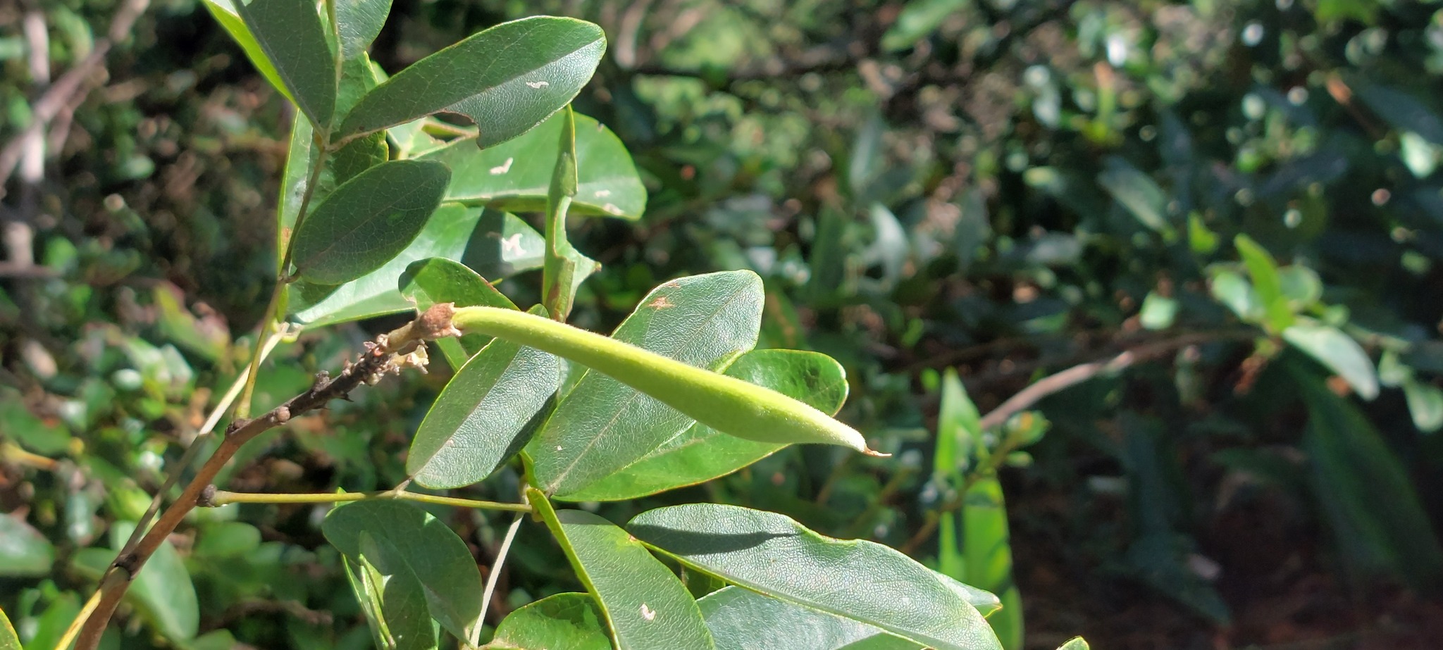
物種
鑑定
林家榮 ● 2025-10-06
敏感層級
輕度
日期
2025-10-05
地點
24.18,120.96,1285
台中市和平區
台中市和平區
記錄者
吳聰增
物候
結實期
族群數量
常見common
描述
授權
照片授權: CC BY (吳聰增)
識別號
562f1663-2331-451e-ba0d-0c551a2265d9 (OccurrenceUUID)
2171798 (nid)
2171798 (nid)
鑑定歷程
| 日期 | 鑑定者 | 學名 | 中名 | 參考文獻 | 備註 |
|---|---|---|---|---|---|
| 2025-10-06 | 林家榮 | Callerya nitida | 光葉魚藤 |