移至主內容
物種
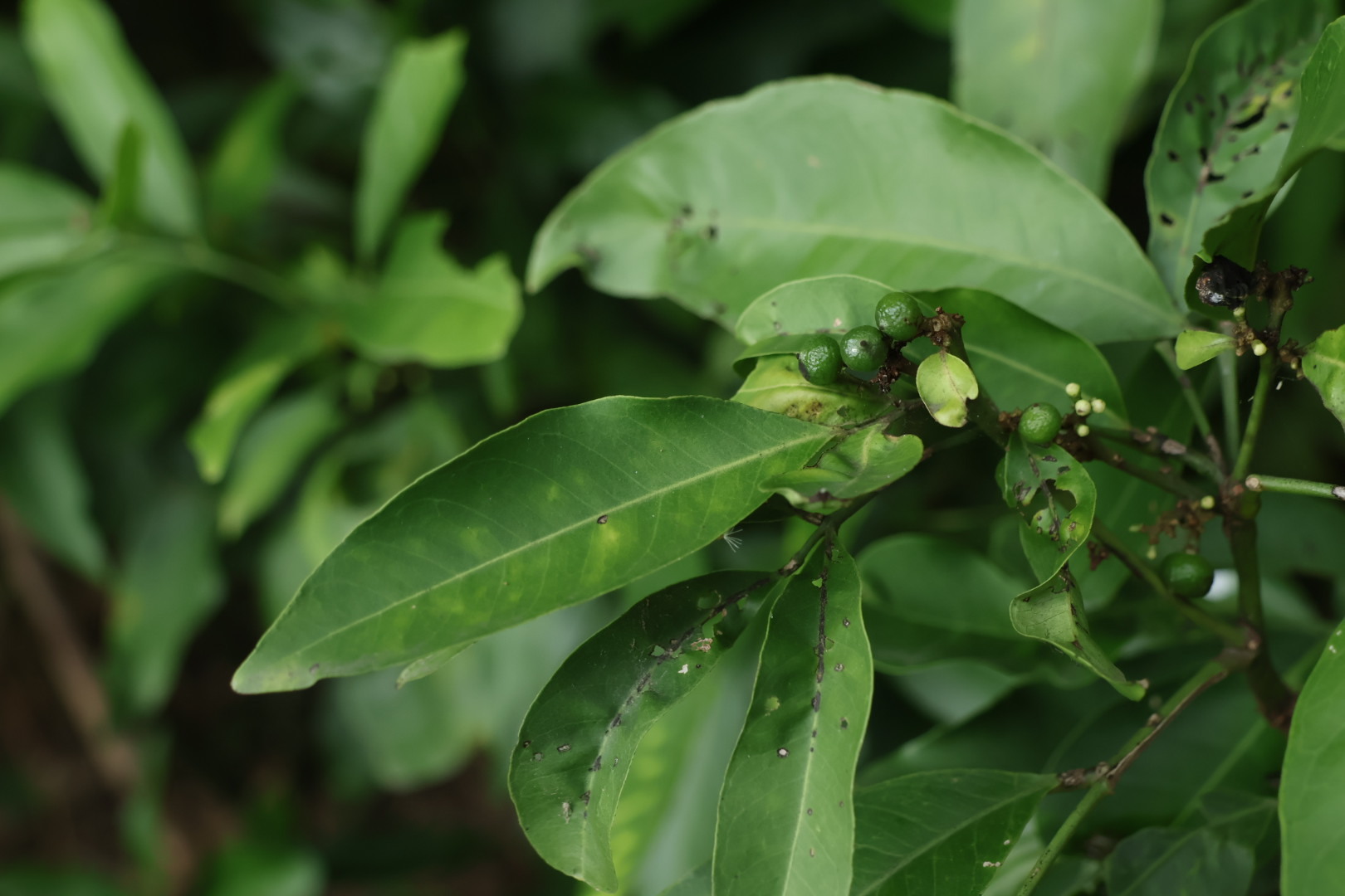
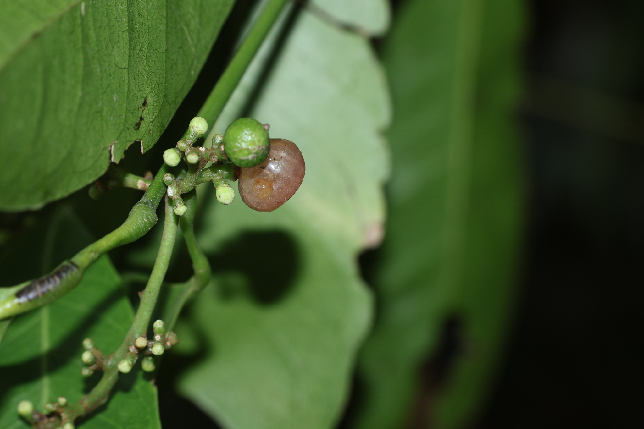
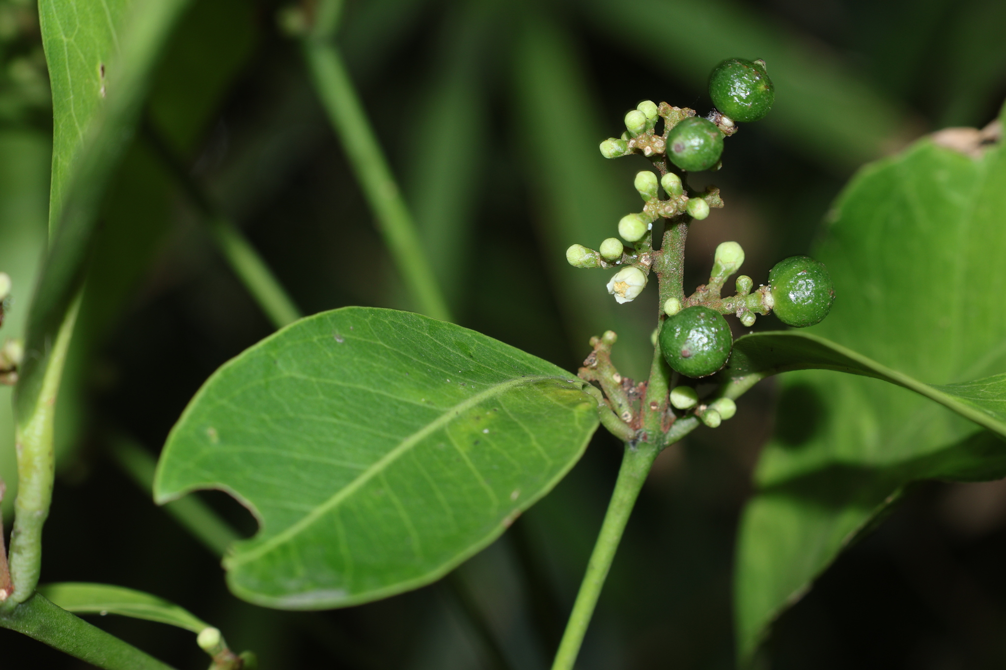
石苓舅 Glycosmis citrifolia (Willd.) Lindl.
[原始紀錄物種] 石苓舅 Glycosmis citrifolia (Willd.) Lindl.
鑑定
鍾明哲 ● 2026-03-10
敏感層級
日期
2026-03-04
地點
24.77236,120.92866,91
新竹市香山區
記錄者
jun1115
物候
枝葉成熟期, 花苞發育期, 開花期, 結實期, 果熟期
族群數量
中等medium
描述
授權
照片授權: CC BY (jun1115)
識別號
5c2c2691-d162-4d2a-b97d-710e36b56d31 (OccurrenceUUID)
2184172 (nid)
鑑定歷程
日期 鑑定者 學名 中名 參考文獻 備註
2026-03-10 鍾明哲 Glycosmis citrifolia 石苓舅