移至主內容
物種
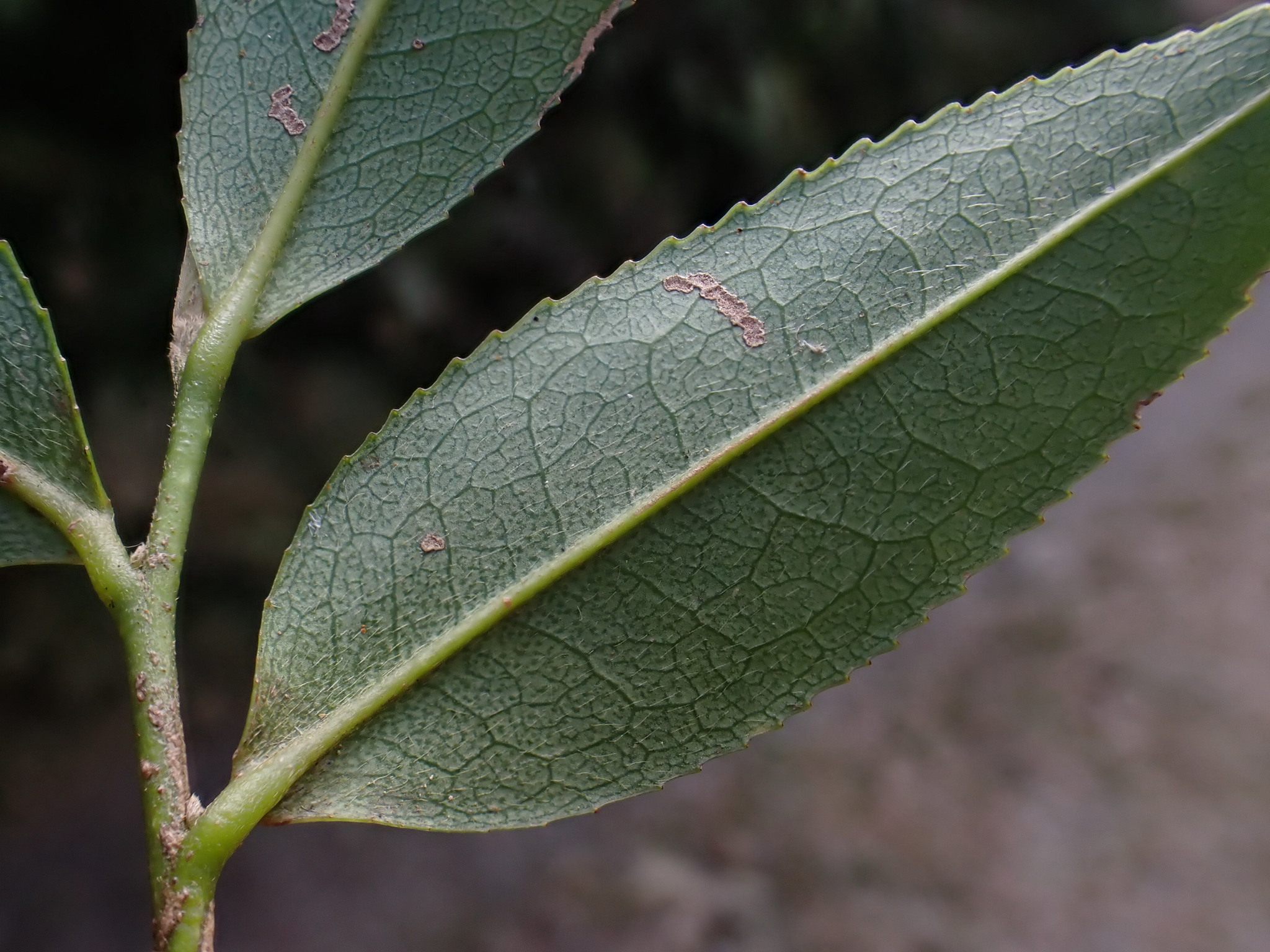
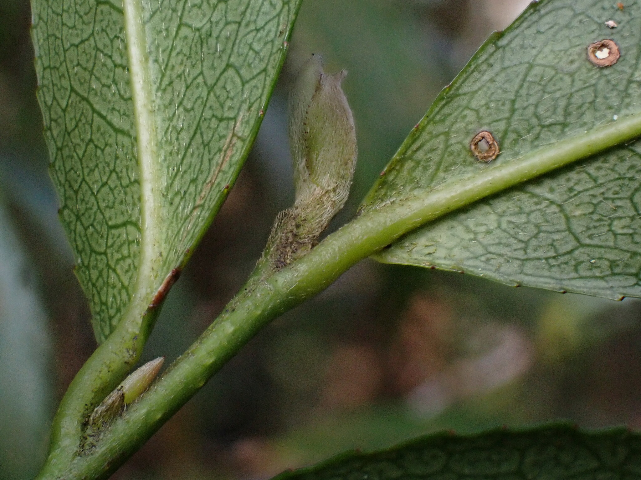
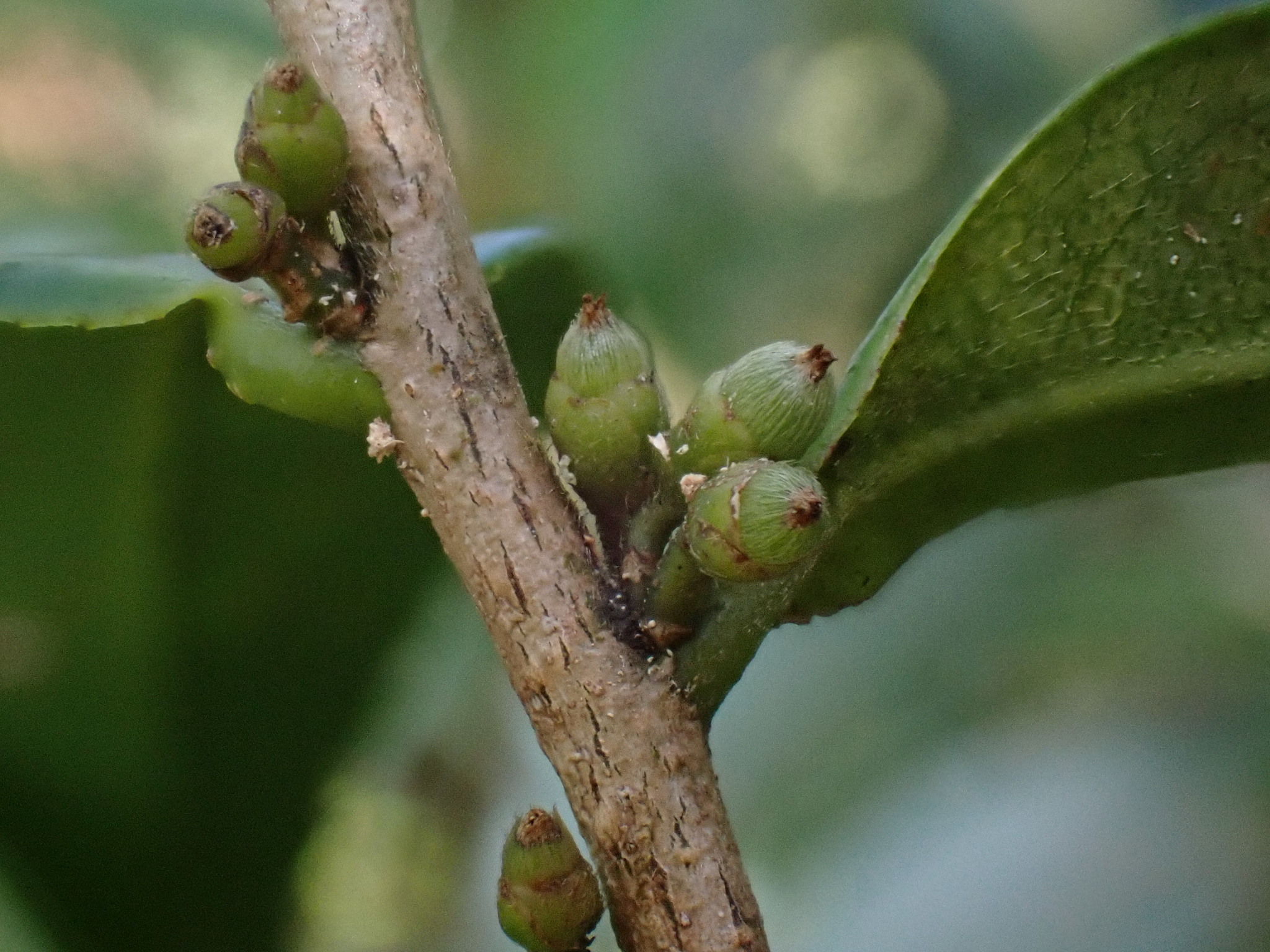
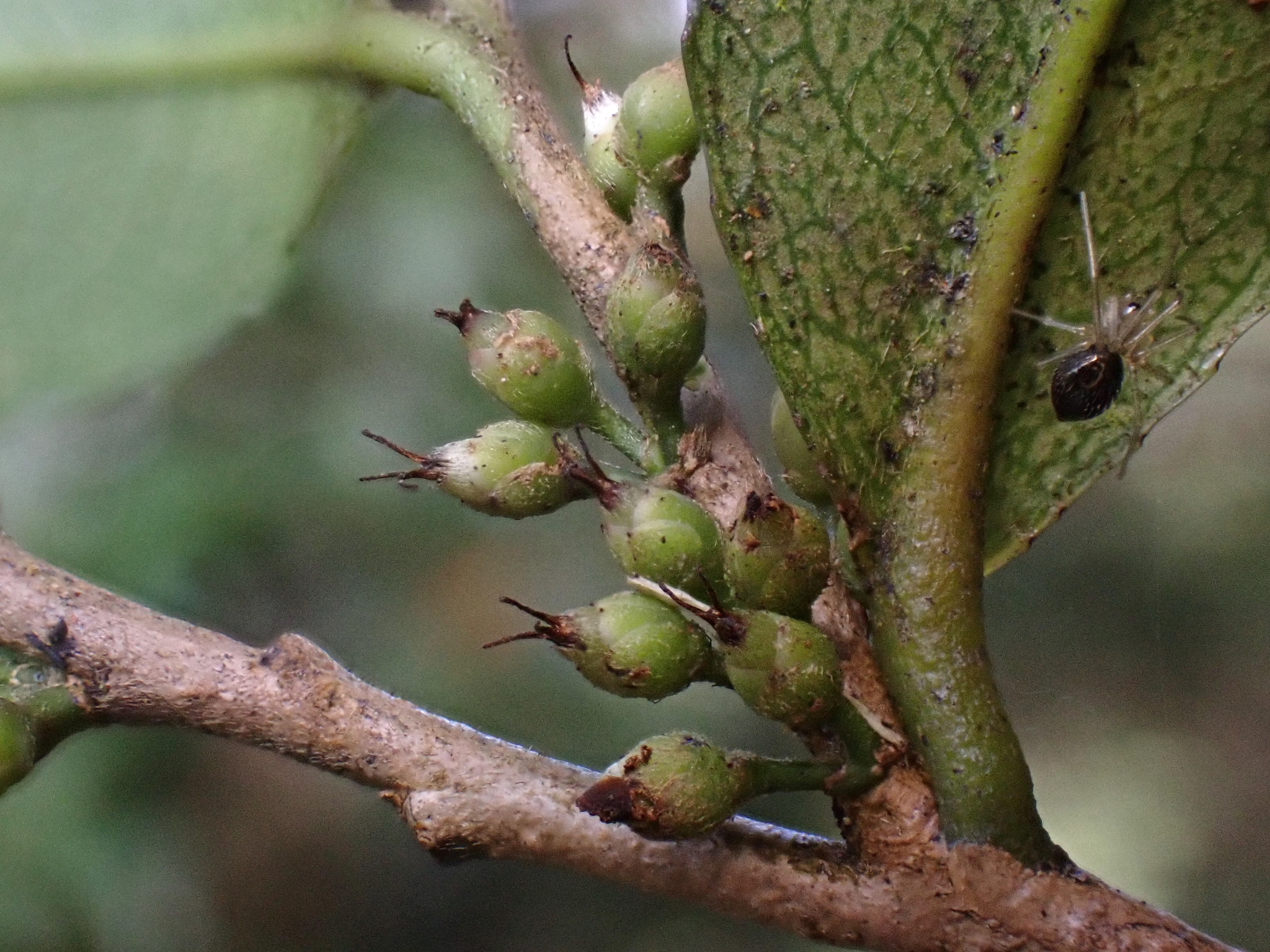
浸水營柃木 Eurya lui Y.H.Tseng & Y.Hung Wu
[原始紀錄物種] 浸水營柃木 Eurya lui Y.H.Tseng & Y.Hung Wu
鑑定
鍾明哲 ● 2023-02-28
敏感層級
日期
2023-02-11
地點
22.40763,120.75654
屏東縣春日鄉
記錄者
陳慧珠
物候
結實期
族群數量
一些some
描述
授權
照片授權: CC BY (陳慧珠)
識別號
5e4bf9ec-dceb-4662-a445-4845d2244ba1 (OccurrenceUUID)
2104362 (nid)
鑑定歷程
日期 鑑定者 學名 中名 參考文獻 備註
2023-02-28 鍾明哲 Eurya lui 浸水營柃木