移至主內容
物種
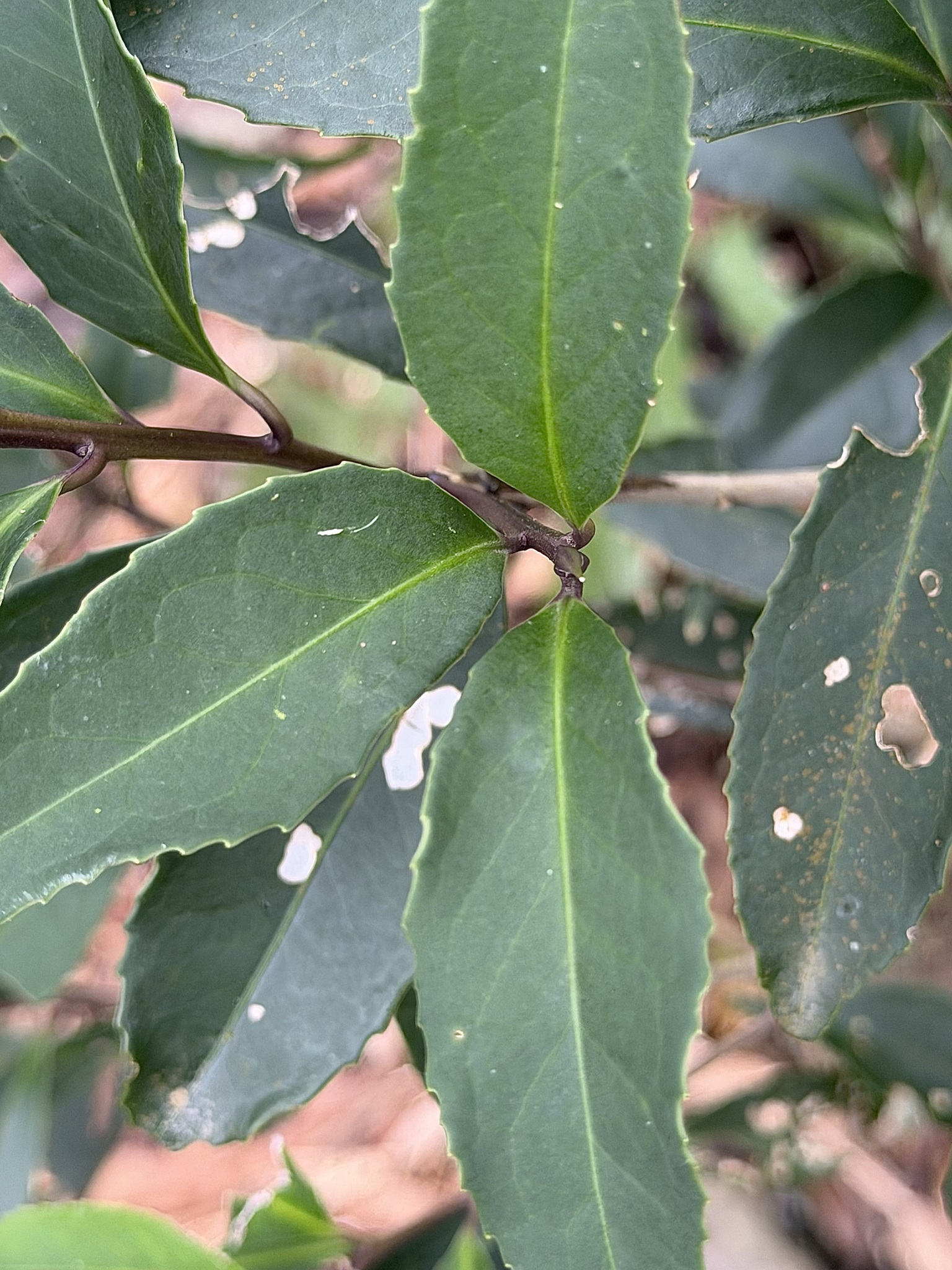
四川灰木 Symplocos setchuensis Brand
[原始紀錄物種] 四川灰木 Symplocos setchuensis Brand
鑑定
鍾明哲 ● 2026-02-02
敏感層級
日期
2026-01-26
地點
24.87633,121.56311,922
新北市烏來區 大桶山頂
記錄者
Henry Chen
物候
新葉發育開展期, 枝葉成熟期
族群數量
一些some
描述
授權
照片授權: CC BY (Henry Chen)
識別號
604ba907-4022-4f82-acd2-6841d801da71 (OccurrenceUUID)
2182868 (nid)
鑑定歷程
日期 鑑定者 學名 中名 參考文獻 備註
2026-02-02 鍾明哲 Symplocos setchuensis 四川灰木