移至主內容
物種
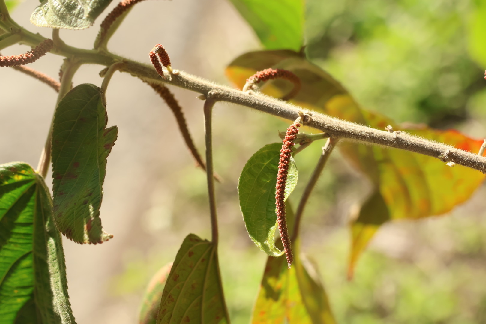
臺灣鐵莧 Acalypha angatensis Blanco
[原始紀錄物種] 臺灣鐵莧 Acalypha angatensis Blanco
鑑定
鍾明哲 ● 2026-03-15
敏感層級
日期
2026-03-12
地點
24.32684,120.95392,717
台中市和平區
記錄者
jun1115
物候
新葉發育開展期, 枝葉成熟期, 盛花期, 結實期
族群數量
一些some
描述
授權
照片授權: CC BY (jun1115)
識別號
6b3b87c7-1877-48a0-a48d-32a293d307f1 (OccurrenceUUID)
2184543 (nid)
鑑定歷程
日期 鑑定者 學名 中名 參考文獻 備註
2026-03-15 鍾明哲 Acalypha angatensis 臺灣鐵莧