移至主內容
物種
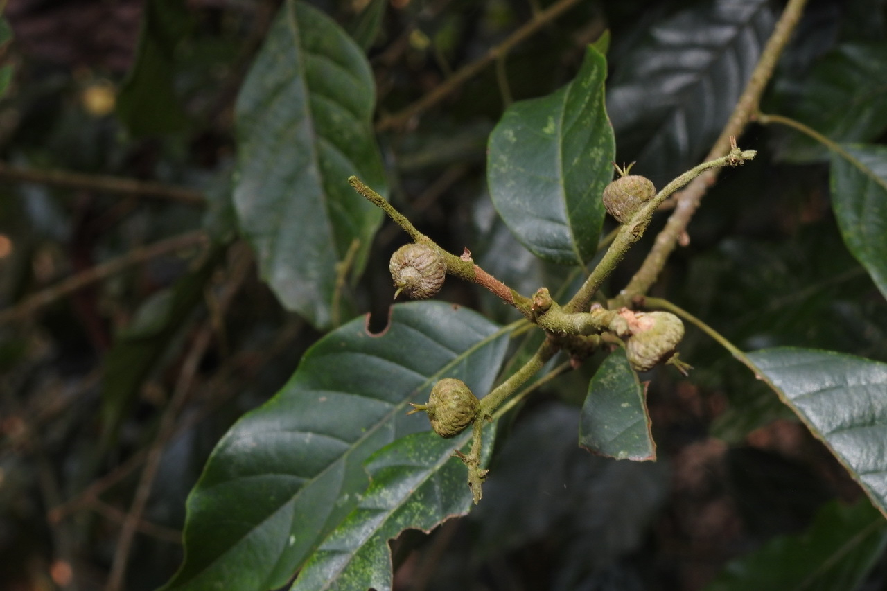
後大埔石櫟 Lithocarpus corneus (Lour.) Rehder
[原始紀錄物種] 後大埔石櫟 Lithocarpus corneus (Lour.) Rehder
鑑定
陳柏豪 ● 2020-03-24
敏感層級
日期
2020-03-21
地點
22.96865,120.68699
高雄市茂林區
記錄者
Chen Shu
物候
幼葉捲曲/芽苞抽長期, 新葉發育開展期, 枝葉成熟期, 結實期
族群數量
描述
授權
照片授權: CC BY (Chen Shu)
識別號
70497f93-eb55-46fa-8c61-9d9011213b2c (OccurrenceUUID)
2026784 (nid)
鑑定歷程
日期 鑑定者 學名 中名 參考文獻 備註
2020-03-24 陳柏豪 Lithocarpus corneus