移至主內容
物種
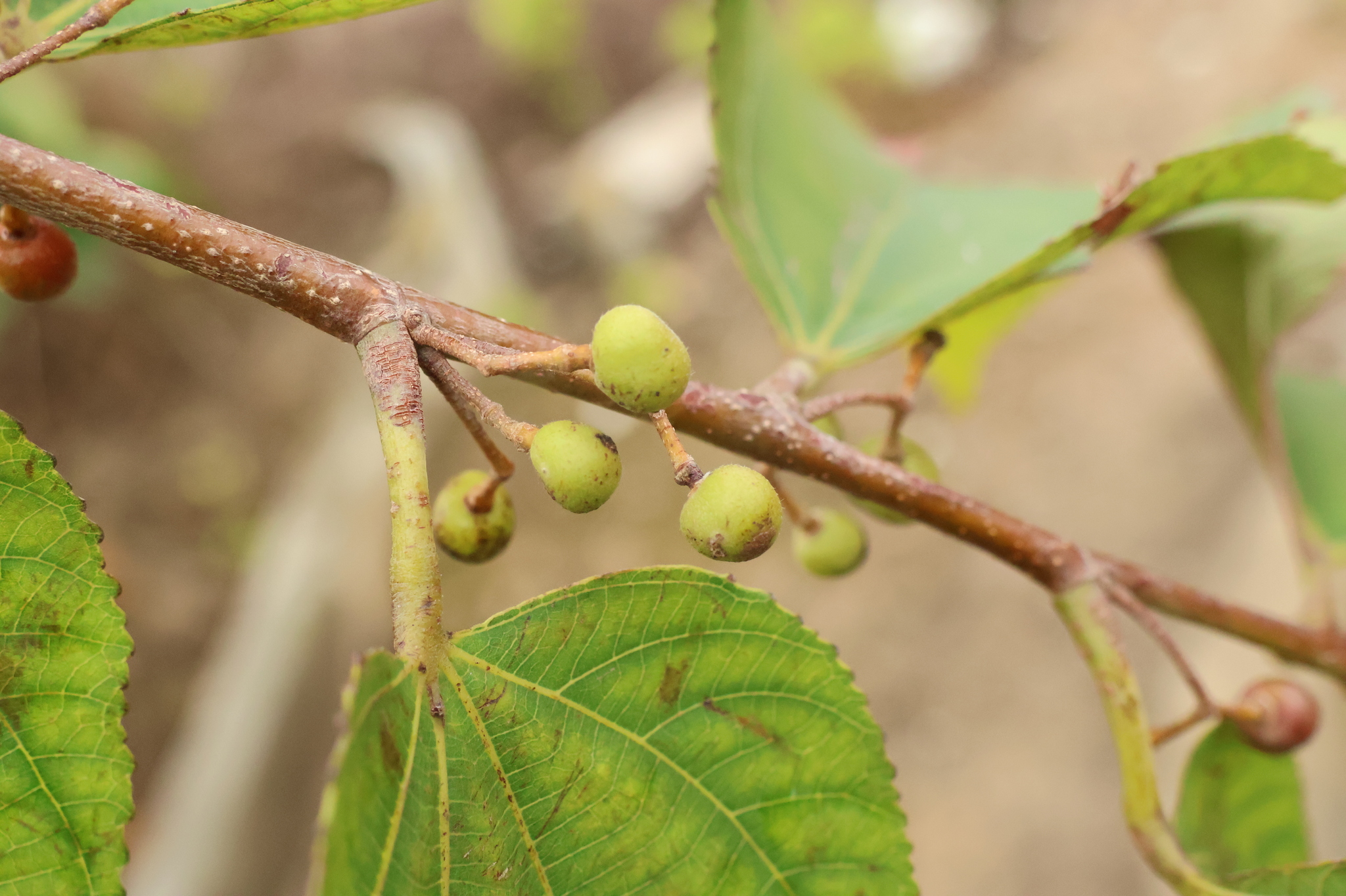
椴葉捕魚木 Grewia tiliifolia Vahl
[原始紀錄物種] 椴葉捕魚木 Grewia tiliifolia Vahl
鑑定
林家榮 ● 2026-04-13
敏感層級
縣市
日期
2025-12-27
地點
彰化縣彰化市
記錄者
jun1115
物候
枝葉成熟期, 結實期, 果熟期
族群數量
稀少rare
描述
授權
照片授權: CC BY (jun1115)
識別號
7873eac5-4b05-409e-a871-58984b2a7690 (OccurrenceUUID)
2178563 (nid)
鑑定歷程
日期 鑑定者 學名 中名 參考文獻 備註
2026-04-13 林家榮 Grewia tiliifolia 椴葉捕魚木