移至主內容
物種
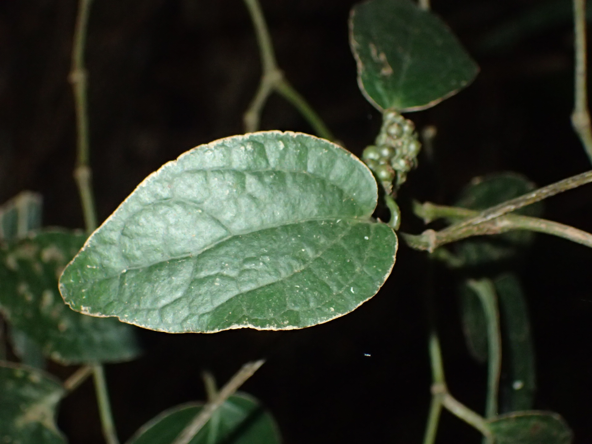
臺灣荖藤 Piper taiwanense T.T.Lin & S.Y.Lu
[原始紀錄物種] 臺灣荖藤 Piper taiwanense T.T.Lin & S.Y.Lu
鑑定
鍾明哲 ● 2024-12-28
敏感層級
日期
2024-11-18
地點
23.87914,120.62532,270(原始座標誤差: 50m)
彰化縣社頭鄉
記錄者
影子
物候
果熟期
族群數量
一些some
描述
授權
照片授權: CC BY (影子)
識別號
7938e0f0-449b-4d5f-ac9f-164107b7e57c (OccurrenceUUID)
2150533 (nid)
鑑定歷程
日期 鑑定者 學名 中名 參考文獻 備註
2024-12-28 鍾明哲 Piper taiwanense 臺灣荖藤