移至主內容
物種
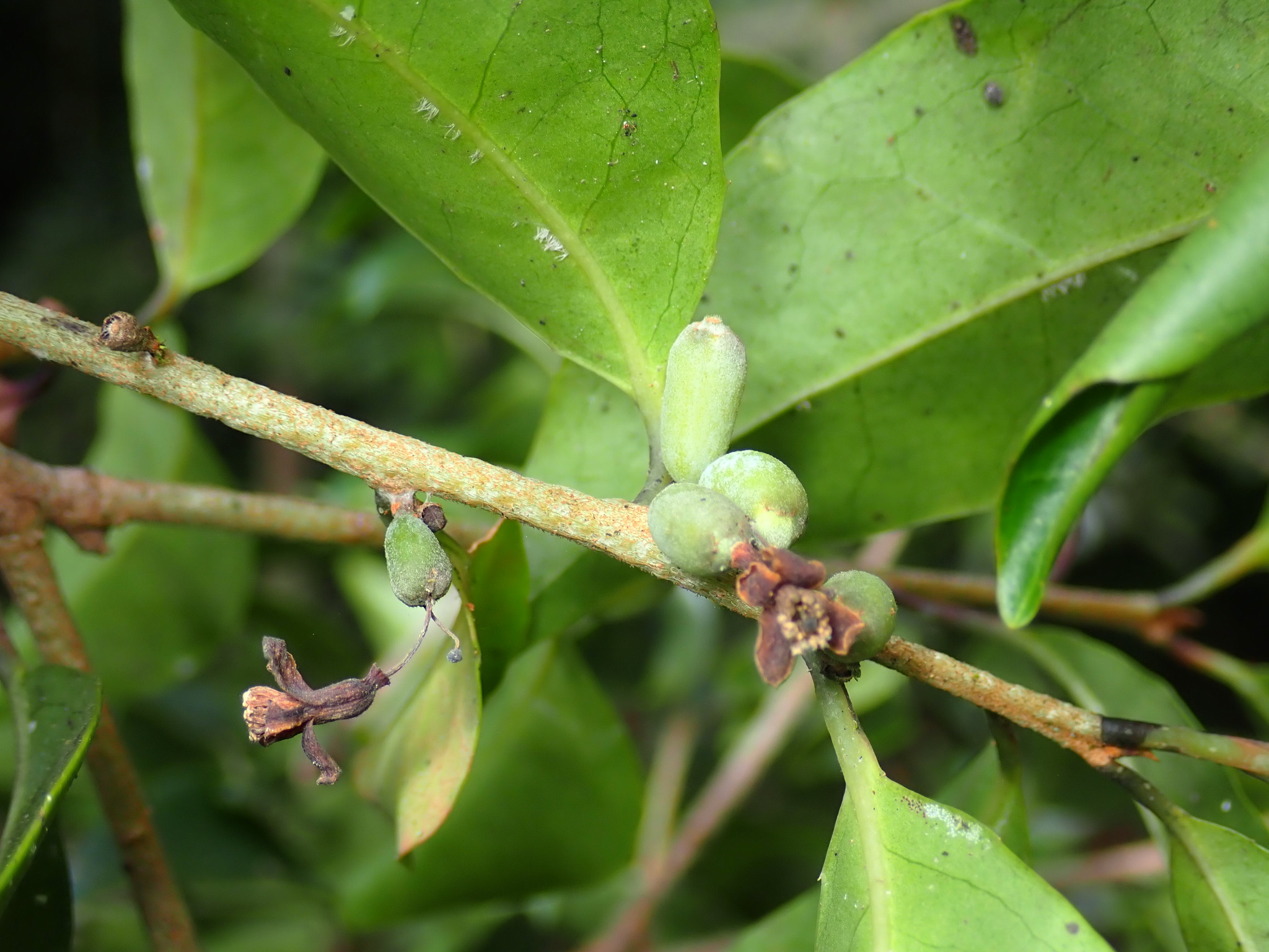
南嶺灰木 Symplocos sonoharae Koidz. (圈養/栽植)
[原始紀錄物種] 南嶺灰木 Symplocos sonoharae Koidz.
鑑定
鍾明哲 ● 2021-11-21
敏感層級
日期
2021-11-03
地點
23.63522,120.7919
南投縣竹山鎮
記錄者
陳佩華
物候
開花期, 結實期
族群數量
中等medium
描述
授權
照片授權: CC BY (陳佩華)
識別號
7fd9698b-24c3-433f-96d7-c25d571c79fb (OccurrenceUUID)
2073902 (nid)
鑑定歷程
日期 鑑定者 學名 中名 參考文獻 備註
2021-11-21 鍾明哲 Symplocos sonoharae 南嶺灰木