移至主內容
物種
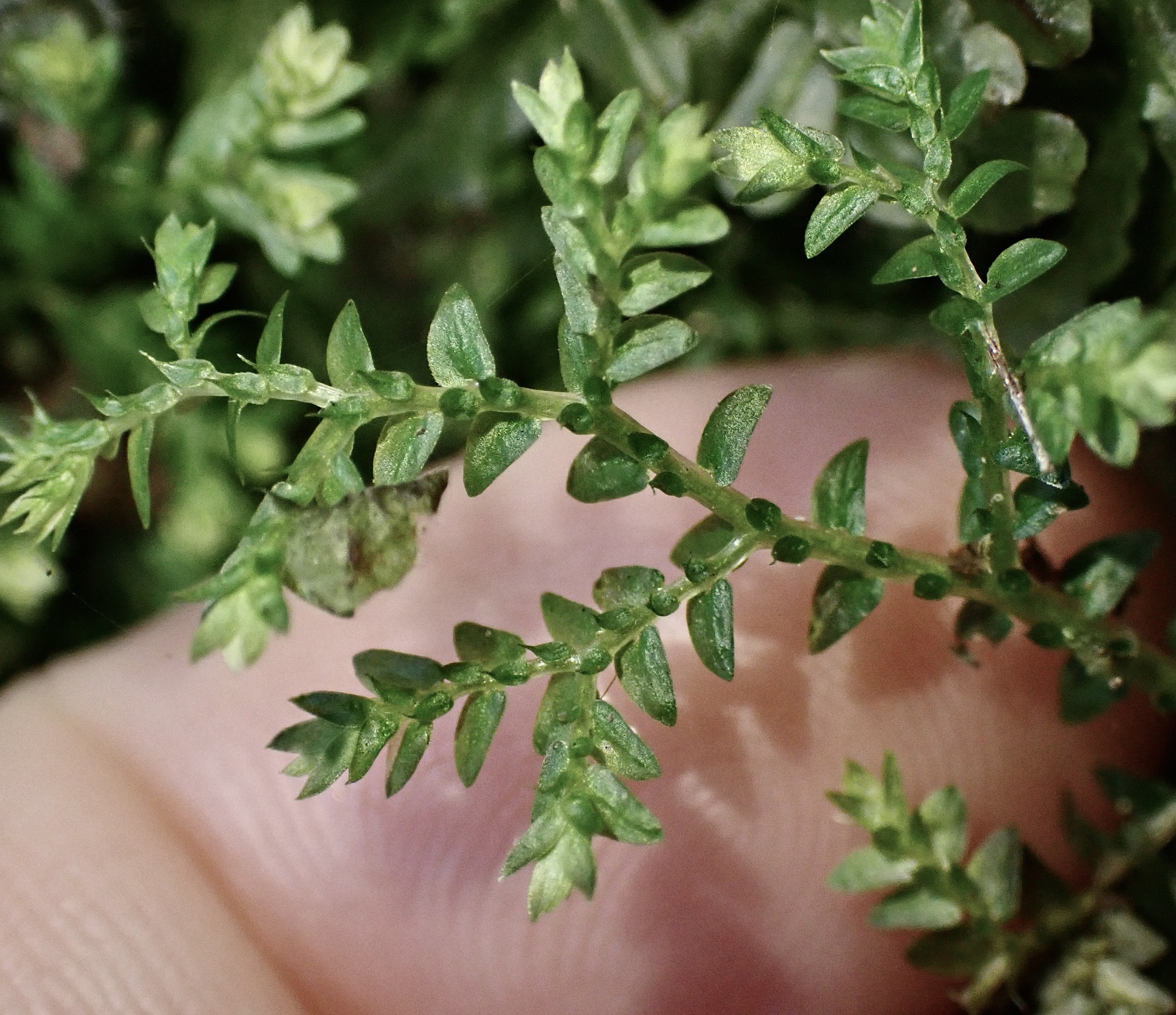
膜葉卷柏 Selaginella aristata Spring
[原始紀錄物種] 膜葉卷柏 Selaginella aristata Spring
鑑定
張智翔 ● 2025-04-19
敏感層級
縣市
日期
2025-03-11
地點
台北市南港區
記錄者
Jenny Tsai
物候
新葉發育開展期, 枝葉成熟期, 孢子囊發育中
族群數量
中等medium
描述
授權
照片授權: CC BY (Jenny Tsai)
識別號
8282bcaa-fe6a-42f7-b964-dfbf71d17650 (OccurrenceUUID)
2156942 (nid)
鑑定歷程
日期 鑑定者 學名 中名 參考文獻 備註
2025-04-19 張智翔 Selaginella aristata 膜葉卷柏