物種
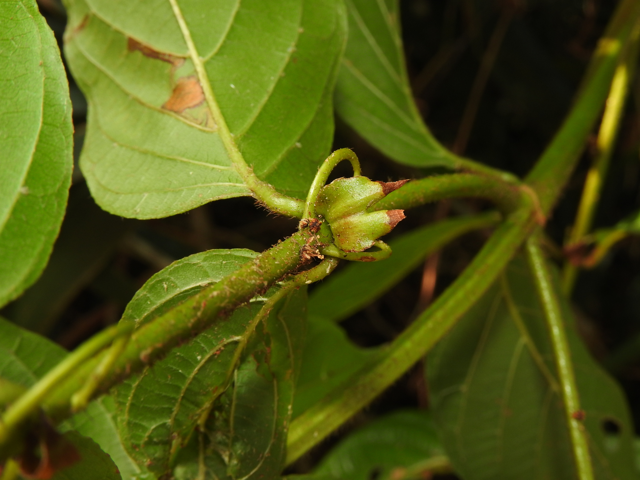
恆春鉤藤 Uncaria lanosa var. appendiculata Ridsdale
[原始紀錄物種] 恆春鉤藤 Uncaria lanosa Wall. var. appendiculata Ridsdale
[原始紀錄物種] 恆春鉤藤 Uncaria lanosa Wall. var. appendiculata Ridsdale
鑑定
mia ● 2021-03-19 ● 學名於最後鑑定後更名
敏感層級
日期
2021-01-30
地點
22.08876,120.84588(原始座標誤差: 1000m)
屏東縣滿州鄉 南仁山
屏東縣滿州鄉 南仁山
記錄者
陳慧珠
物候
新葉發育開展期, 枝葉成熟期
族群數量
中等medium
描述
授權
照片授權: CC BY (陳慧珠)
識別號
927b2105-1a95-49ef-b5ff-f74e4603a7a3 (OccurrenceUUID)
2056291 (nid)
2056291 (nid)
鑑定歷程
| 日期 | 鑑定者 | 學名 | 中名 | 參考文獻 | 備註 |
|---|---|---|---|---|---|
| 2021-03-19 | mia | Uncaria lanosa |