移至主內容
物種
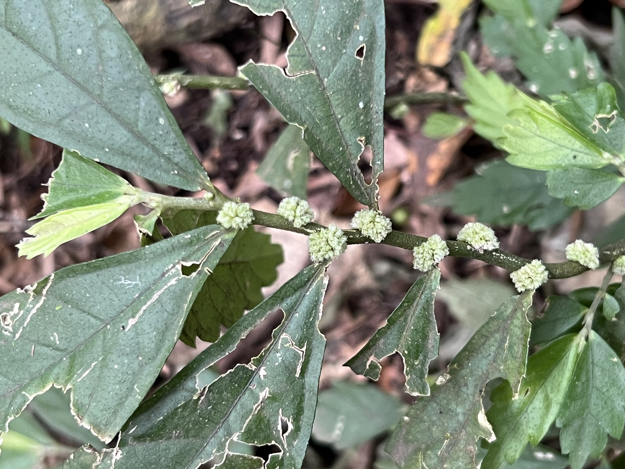
冷清草 Elatostema lineolatum var. majus Wedd.
[原始紀錄物種] 冷清草 Elatostema lineolatum var. majus Wedd.
鑑定
沈明雅 ● 2025-06-20
敏感層級
日期
2025-02-19
地點
25.17188,121.4952,653(原始座標誤差: 30m)
新北市淡水區 興福寮至向天池
記錄者
Henry Chen
物候
開花期
族群數量
一些some
描述
授權
照片授權: CC BY (Henry Chen)
識別號
94396190-acea-41f4-8805-3adcc389f908 (OccurrenceUUID)
2154929 (nid)
鑑定歷程
日期 鑑定者 學名 中名 參考文獻 備註
2025-06-20 沈明雅 Elatostema lineolatum majus 冷清草