移至主內容
物種
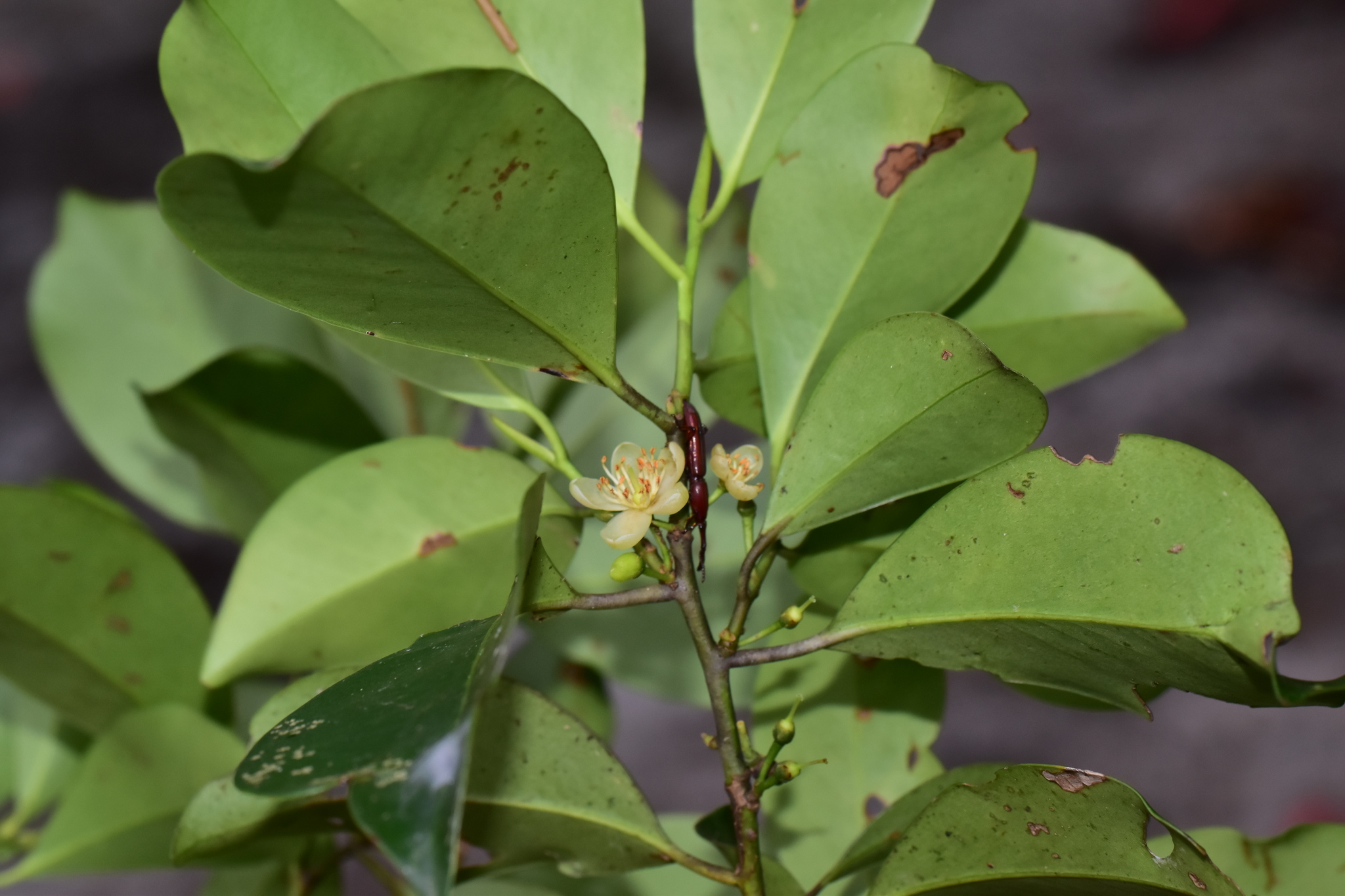
森氏紅淡比 Cleyera japonica var. morii (Yamam.) Masam.
[原始紀錄物種] 紅淡比屬 Cleyera
鑑定
鍾明哲 ● 2025-12-01
敏感層級
日期
2022-07-05
地點
22.7977,121.0359,806
台東縣卑南鄉
記錄者
cyc
物候
開花期
族群數量
描述
授權
照片授權: CC BY (cyc)
識別號
947e0362-7290-409c-a980-e31908dd3e0c (OccurrenceUUID)
2176325 (nid)
鑑定歷程
日期 鑑定者 學名 中名 參考文獻 備註
2025-12-01 鍾明哲 Cleyera japonica morii 森氏紅淡比