移至主內容
物種
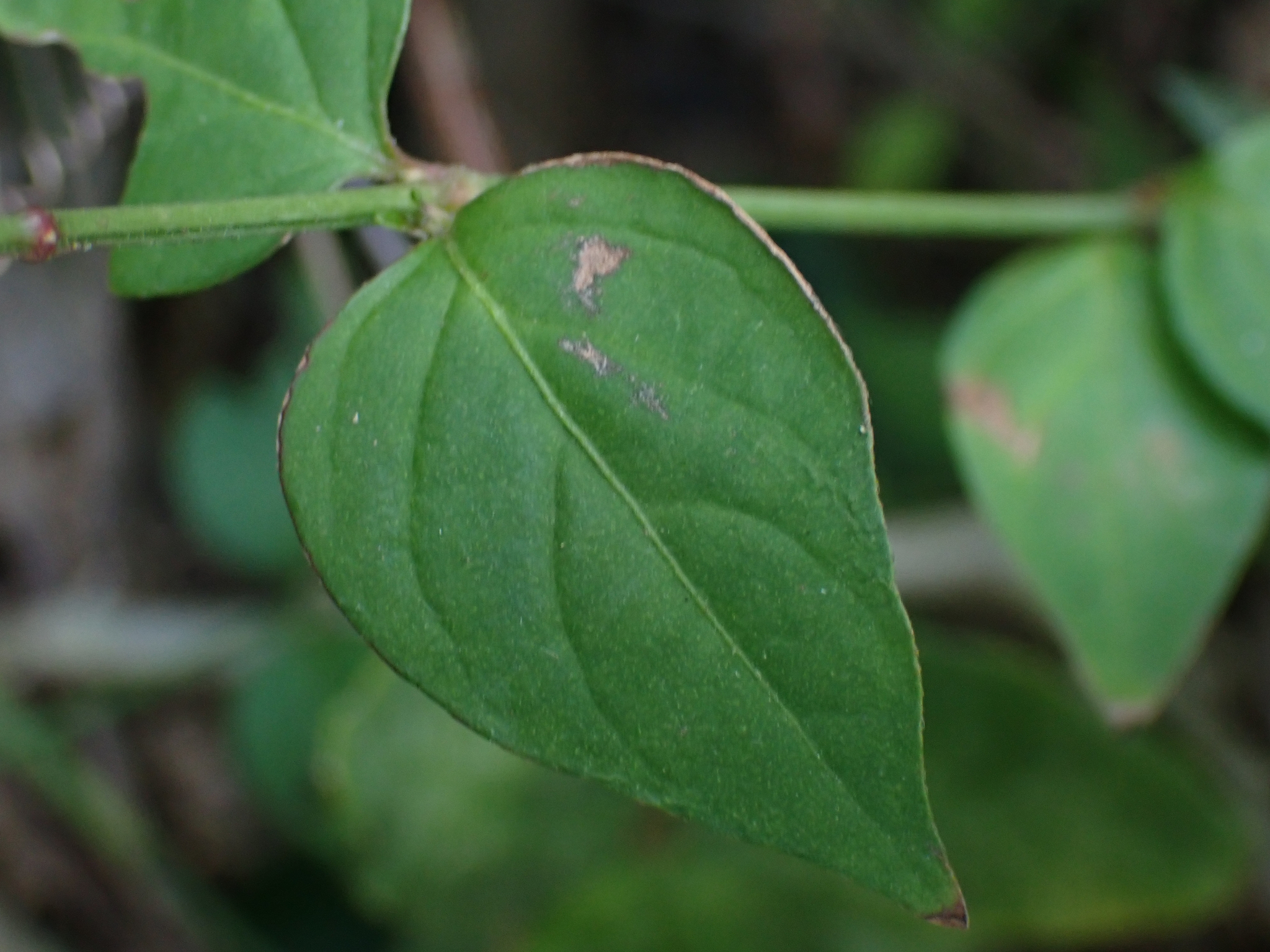
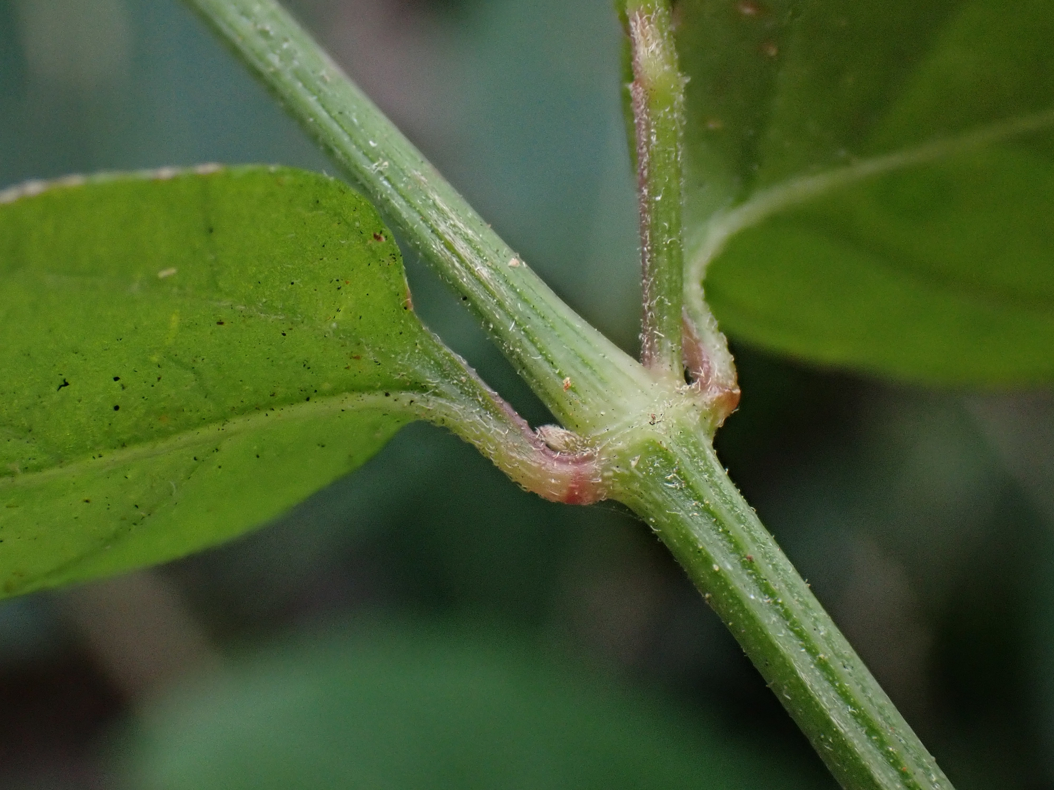
小花鉤牛膝 Pupalia micrantha Hauman
[原始紀錄物種] 小花鉤牛膝 Pupalia micrantha Hauman
鑑定
張家昀 ● 2020-10-27
敏感層級
日期
2020-10-17
地點
21.92639,120.73697
屏東縣恆春鎮
記錄者
陳慧珠
物候
開花期, 結實期, 果熟期
族群數量
一些some
描述
授權
照片授權: CC BY (陳慧珠)
識別號
96edd627-3888-4484-a265-d5bfc380fde9 (OccurrenceUUID)
2050259 (nid)
鑑定歷程
日期 鑑定者 學名 中名 參考文獻 備註
2020-10-27 張家昀 Pupalia micrantha