移至主內容
物種
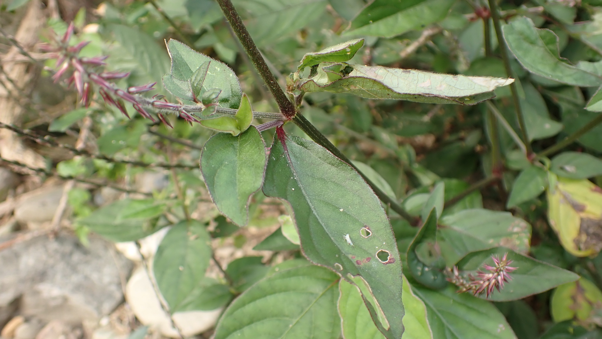
印度牛膝 Achyranthes aspera var. indica L.
[原始紀錄物種] 印度牛膝 Achyranthes aspera var. indica L.
鑑定
鍾明哲 ● 2025-01-21
敏感層級
日期
2025-01-08
地點
23.50458,121.39417,93
花蓮縣瑞穗鄉
記錄者
JUNG
物候
開花期
族群數量
一些some
描述
花蓮農地
授權
照片授權: CC BY (JUNG)
識別號
97ea3b27-6be8-48ad-9866-e4e57b2420d3 (OccurrenceUUID)
2153002 (nid)
鑑定歷程
日期 鑑定者 學名 中名 參考文獻 備註
2025-01-21 鍾明哲 Achyranthes aspera indica 印度牛膝