移至主內容
物種
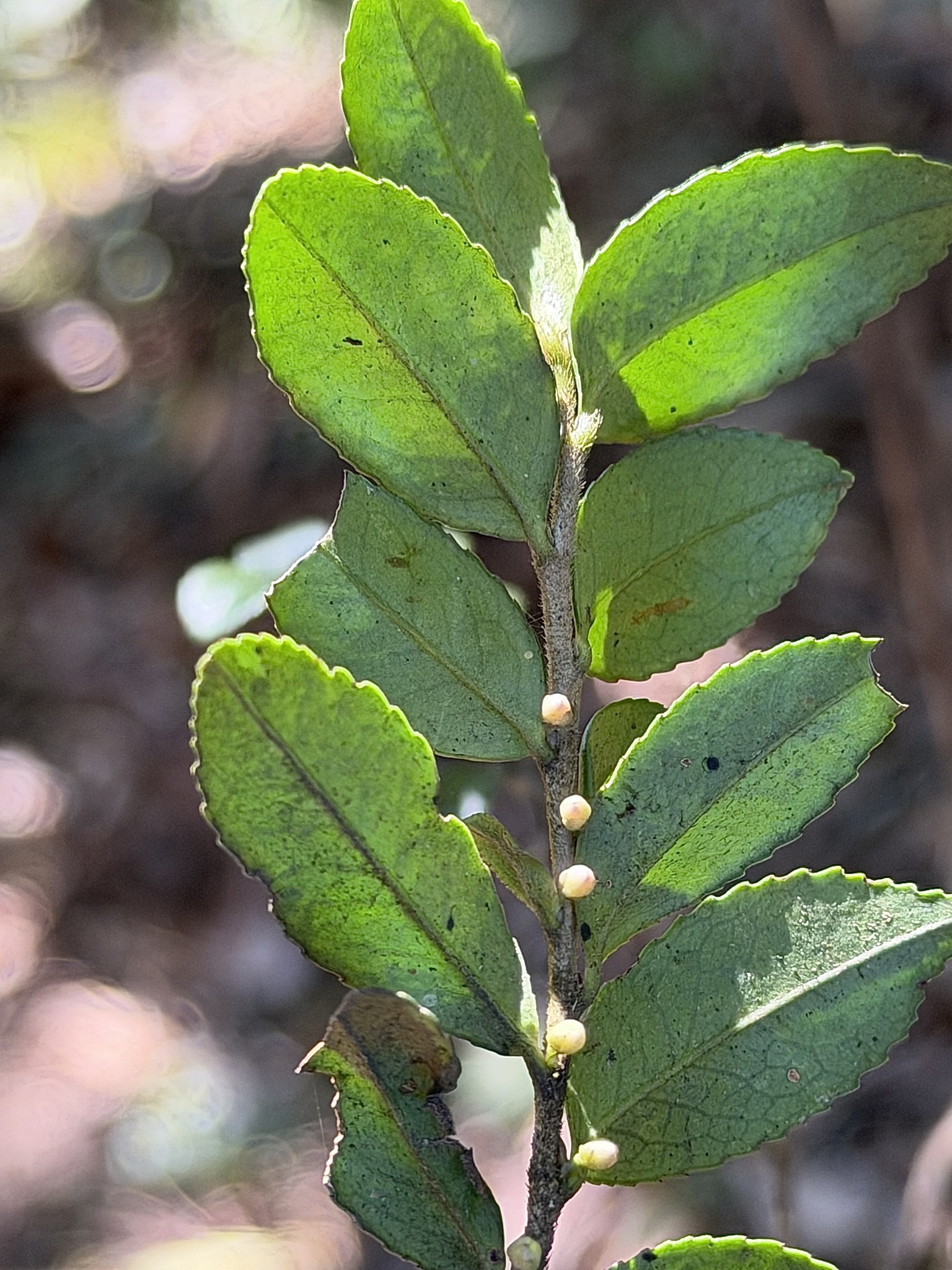
假柃木 Eurya crenatifolia (Yamam.) Kobuski
[原始紀錄物種] 假柃木 Eurya crenatifolia (Yamam.) Kobuski
鑑定
鍾明哲 ● 2026-03-18
敏感層級
日期
2026-01-14
地點
24.66636,121.27855,1448
新竹縣尖石鄉 魯壁山
記錄者
Henry Chen
物候
新葉發育開展期, 枝葉成熟期
族群數量
一些some
描述
授權
照片授權: CC BY (Henry Chen)
識別號
99c32123-603d-4a48-ada0-ad08975e6998 (OccurrenceUUID)
2182050 (nid)
鑑定歷程
日期 鑑定者 學名 中名 參考文獻 備註
2026-03-18 鍾明哲 Eurya crenatifolia 假柃木