移至主內容
物種
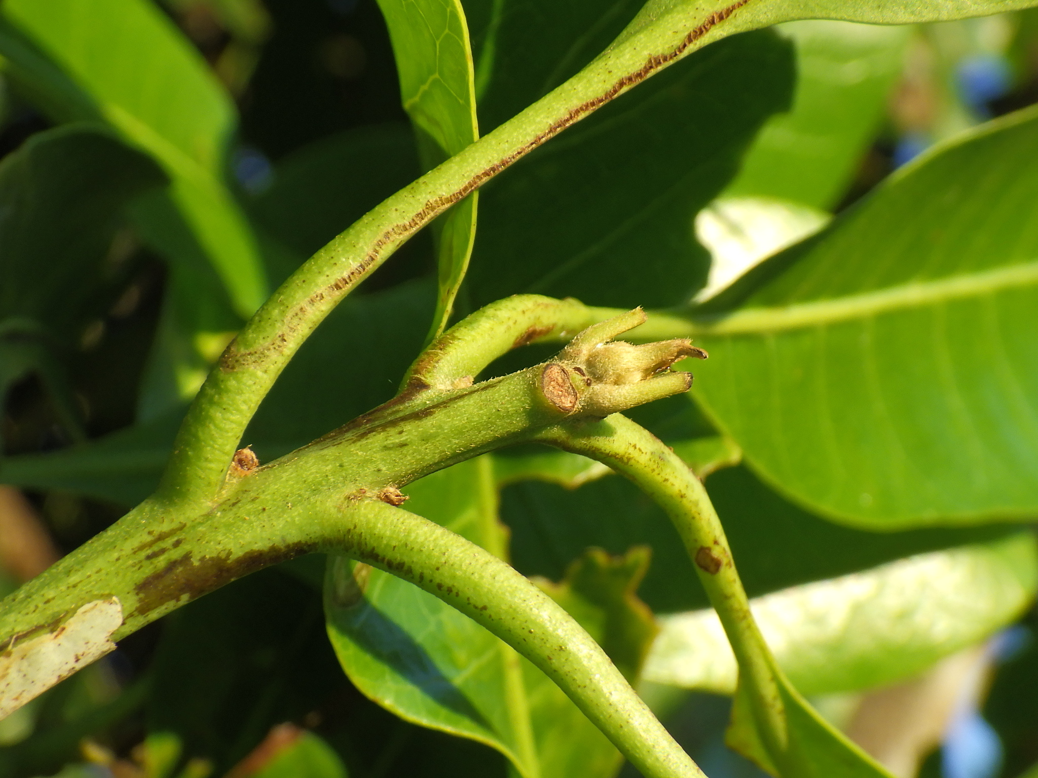
山檨子 Buchanania arborescens Blume
[原始紀錄物種] 山檨子 Buchanania arborescens Blume
鑑定
鍾明哲 ● 2025-11-09
敏感層級
縣市
日期
2025-10-02
地點
屏東縣滿州鄉
記錄者
物候
開花期, 結實期
族群數量
一些some
描述
授權
照片授權: CC BY (尤)
識別號
9bbab4eb-6d41-455d-b51c-ef86276245f1 (OccurrenceUUID)
2174628 (nid)
鑑定歷程
日期 鑑定者 學名 中名 參考文獻 備註
2025-11-09 鍾明哲 Buchanania arborescens 山檨子