移至主內容
物種
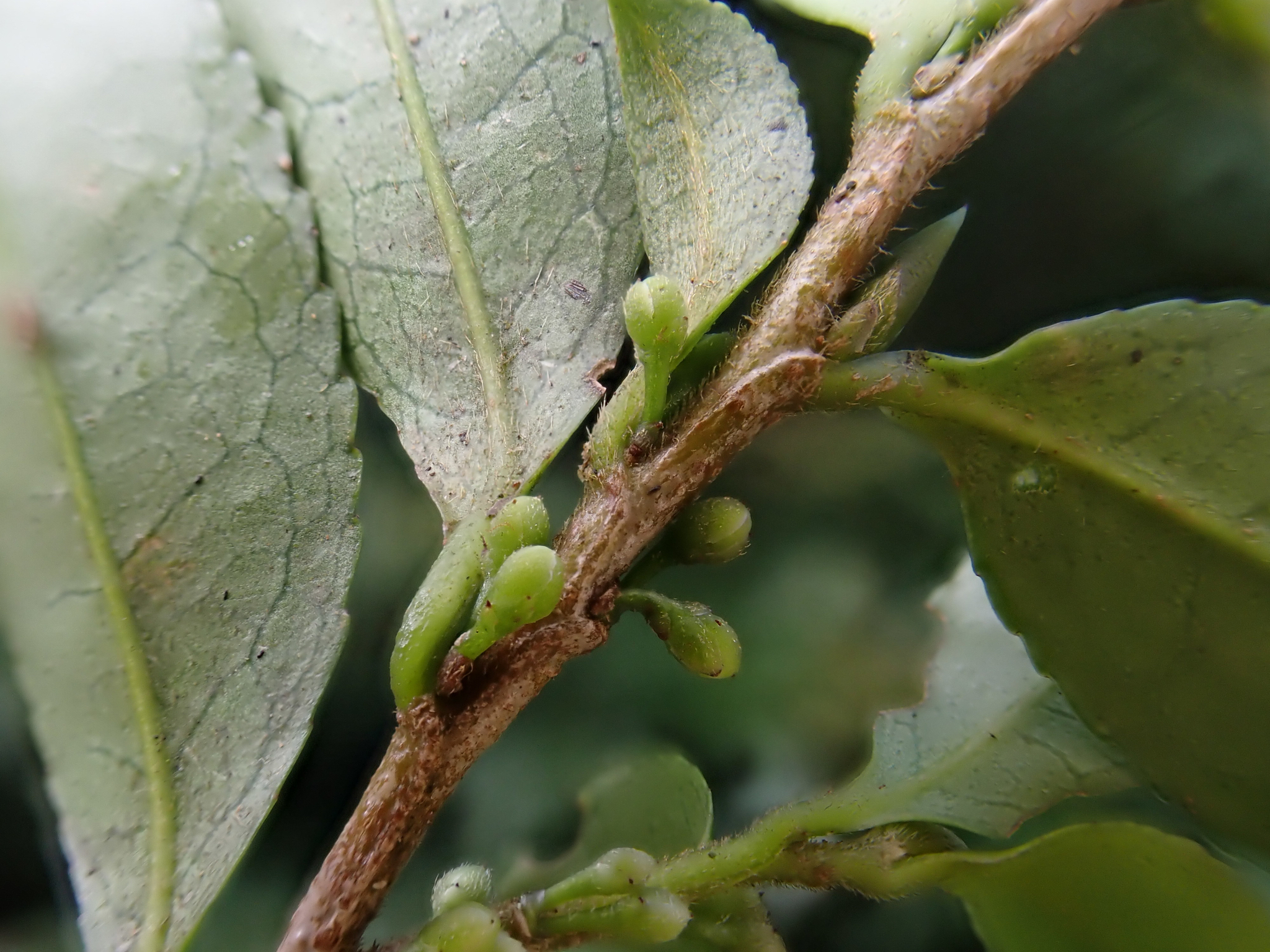
薄葉柃木 Eurya leptophylla Hayata
[原始紀錄物種] 薄葉柃木 Eurya leptophylla Hayata
鑑定
鍾明哲 ● 2020-11-17
敏感層級
日期
2020-10-27
地點
22.40757,120.75641
屏東縣春日鄉
記錄者
陳慧珠
物候
枝葉成熟期, 花苞發育期
族群數量
中等medium
描述
授權
照片授權: CC BY (陳慧珠)
識別號
a325e198-5fb8-4d4c-a47f-d85938ebfdae (OccurrenceUUID)
2050951 (nid)
鑑定歷程
日期 鑑定者 學名 中名 參考文獻 備註
2020-11-17 鍾明哲 Eurya leptophylla