移至主內容
物種
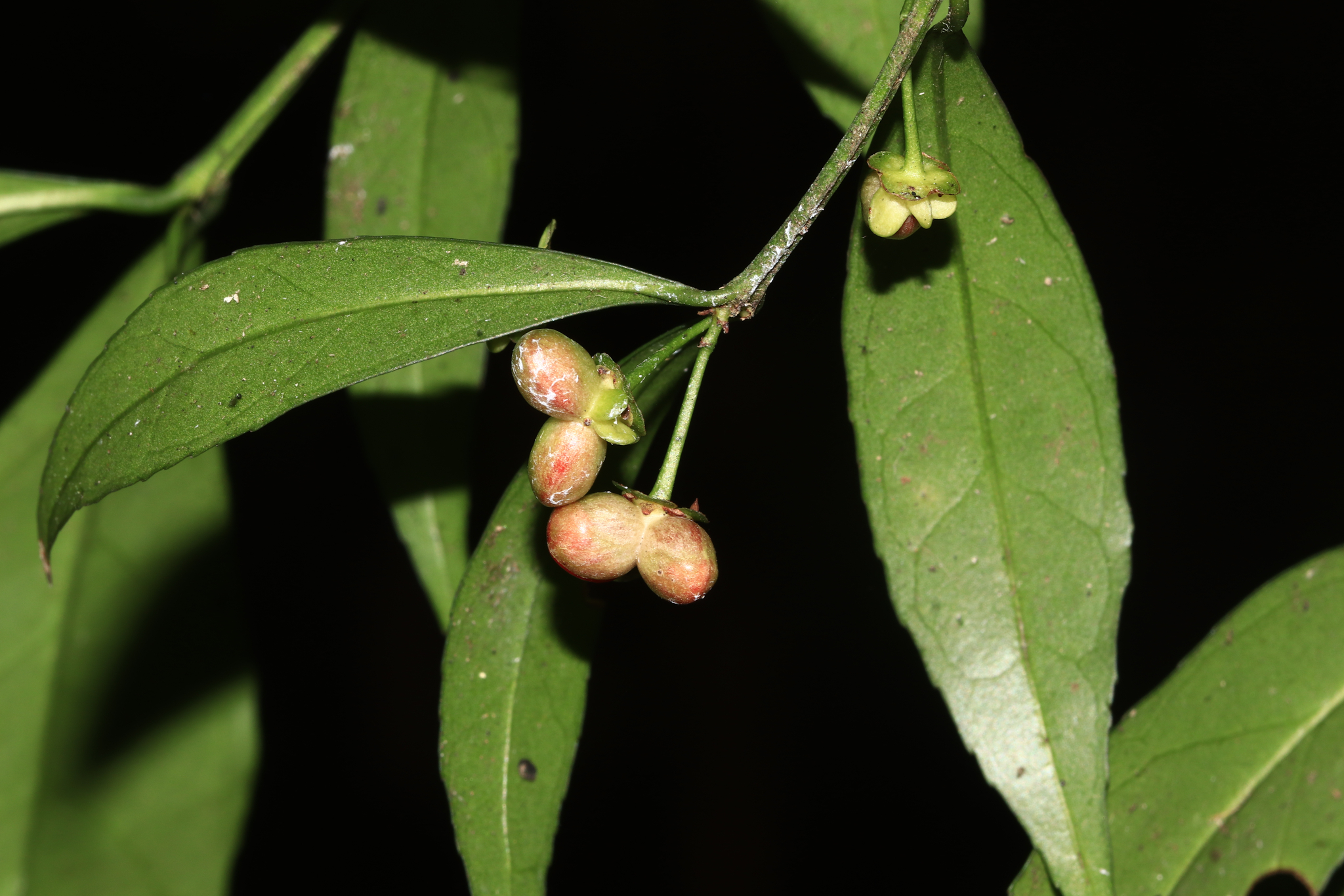
菱葉衛矛 Euonymus tashiroi Maxim.
[原始紀錄物種] 菱葉衛矛 Euonymus tashiroi Maxim.
鑑定
陳柏豪 ● 2021-02-19
敏感層級
座標不開放
日期
2021-02-14
地點
記錄者
哇操 怎麼有棵樹啊
物候
果熟期, 落果期
族群數量
一些some
描述
授權
照片授權: CC BY (哇操 怎麼有棵樹啊)
識別號
a3d71791-bd17-4107-bf4e-5c6cc50d3524 (OccurrenceUUID)
2056823 (nid)
鑑定歷程
日期 鑑定者 學名 中名 參考文獻 備註
2021-02-19 陳柏豪 Euonymus tashiroi