移至主內容
物種
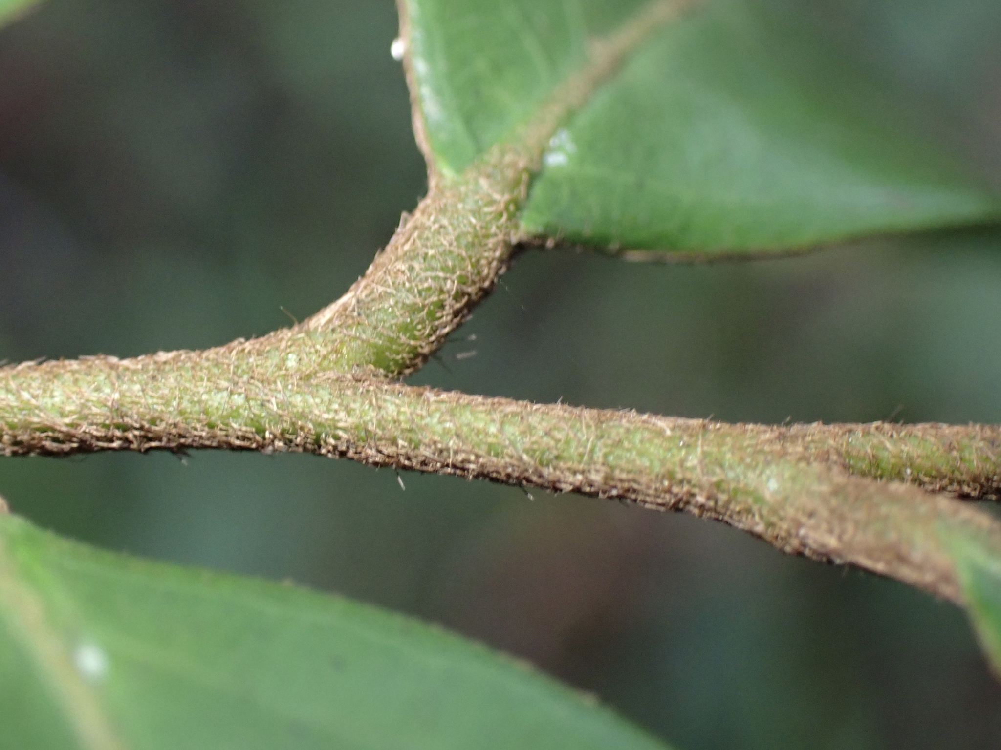
軟毛柿 Diospyros eriantha Champ. ex Benth.
[原始紀錄物種] 軟毛柿 Diospyros eriantha Champ. ex Benth.
鑑定
鍾明哲 ● 2025-12-21
敏感層級
日期
2025-11-20
地點
25.03006,121.57671,101
台北市信義區
記錄者
Jenny Tsai
物候
枝葉成熟期
族群數量
中等medium
描述
授權
照片授權: CC BY (Jenny Tsai)
識別號
a639a96b-5cc4-481e-9984-bfee44c73497 (OccurrenceUUID)
2175057 (nid)
鑑定歷程
日期 鑑定者 學名 中名 參考文獻 備註
2025-12-21 鍾明哲 Diospyros eriantha 軟毛柿