移至主內容
物種
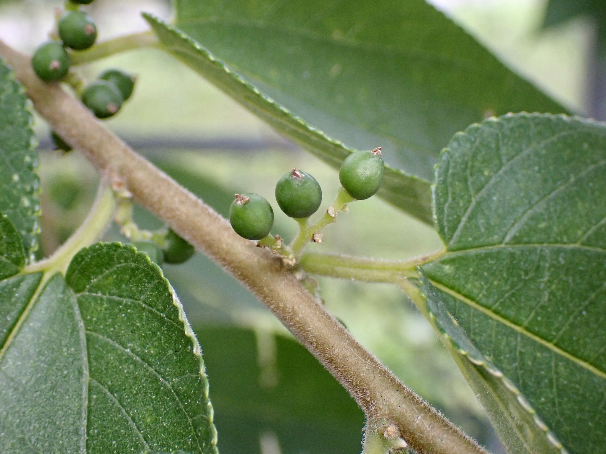
山黃麻 Trema orientale (L.) Blume
[原始紀錄物種] 山黃麻 Trema orientale (L.) Blume
鑑定
鍾明哲 ● 2025-12-21
敏感層級
日期
2025-11-20
地點
25.03263,121.58049,16
台北市信義區
記錄者
Jenny Tsai
物候
結實期
族群數量
一些some
描述
授權
照片授權: CC BY (Jenny Tsai)
識別號
ac98f545-3371-4f57-be43-ff94fd834932 (OccurrenceUUID)
2175059 (nid)
鑑定歷程
日期 鑑定者 學名 中名 參考文獻 備註
2025-12-21 鍾明哲 Trema orientale 山黃麻