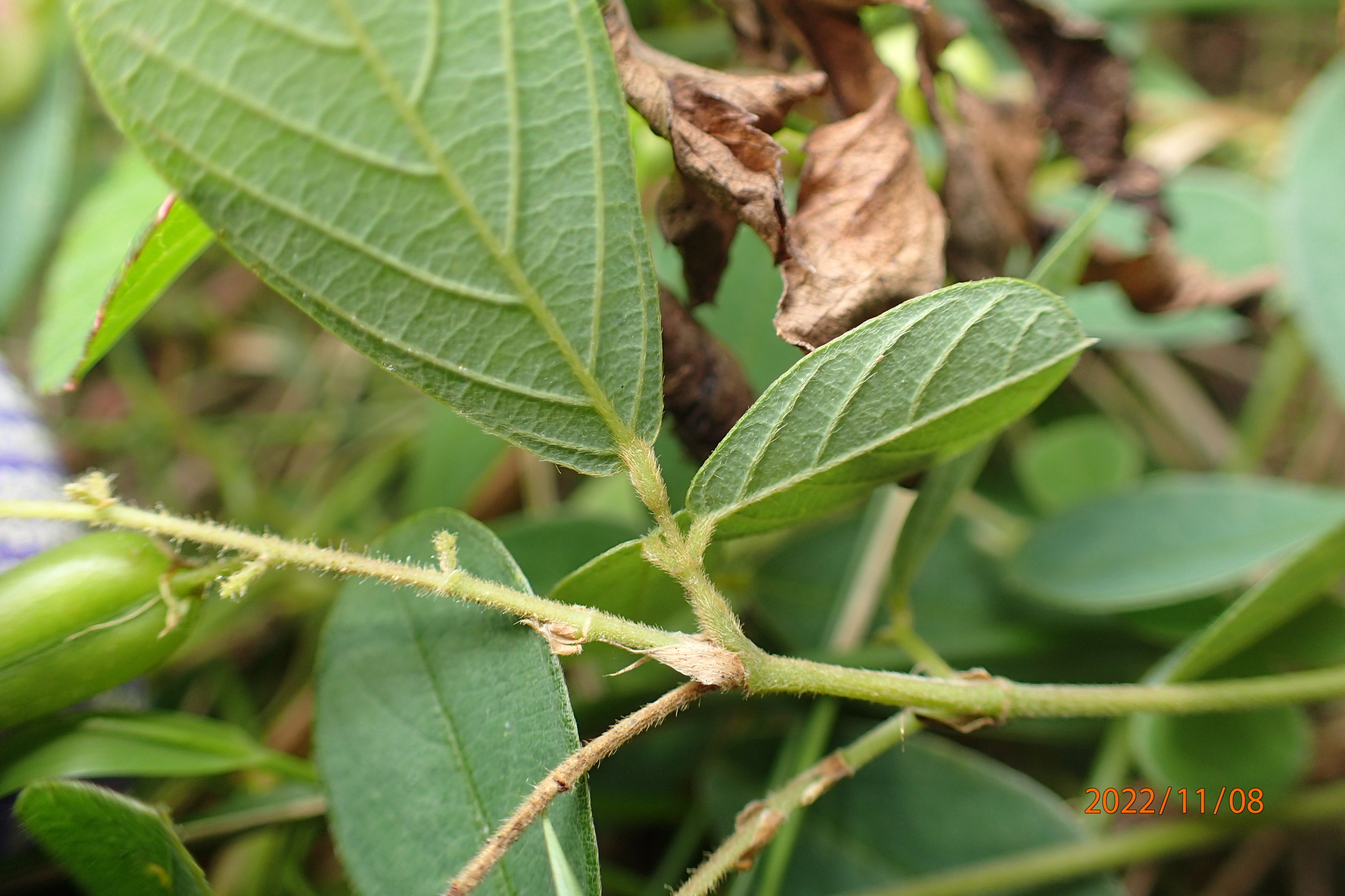
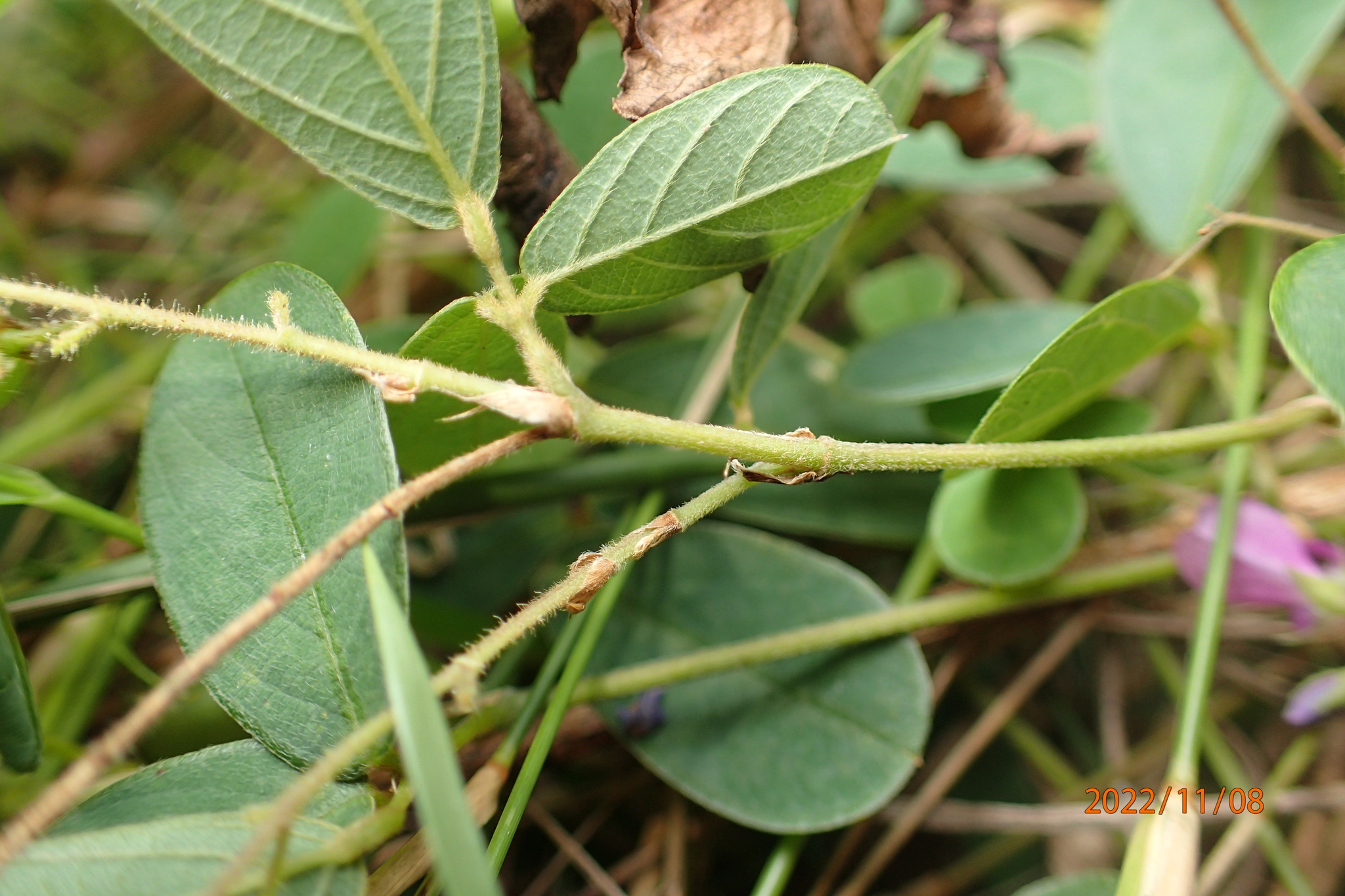
物種
鑑定
鍾明哲 ● 2022-11-22
敏感層級
日期
2022-11-08
地點
22.23442,120.89529
屏東縣牡丹鄉
屏東縣牡丹鄉
記錄者
yalan
物候
枝葉成熟期, 盛花期, 結實期
族群數量
一些some
描述
授權
照片授權: CC BY (yalan)
識別號
b786682f-bf65-456f-ac0e-4360dface729 (OccurrenceUUID)
2098795 (nid)
2098795 (nid)
鑑定歷程
| 日期 | 鑑定者 | 學名 | 中名 | 參考文獻 | 備註 |
|---|---|---|---|---|---|
| 2022-11-22 | 鍾明哲 | Pycnospora lutescens | 密子豆 |