移至主內容
物種
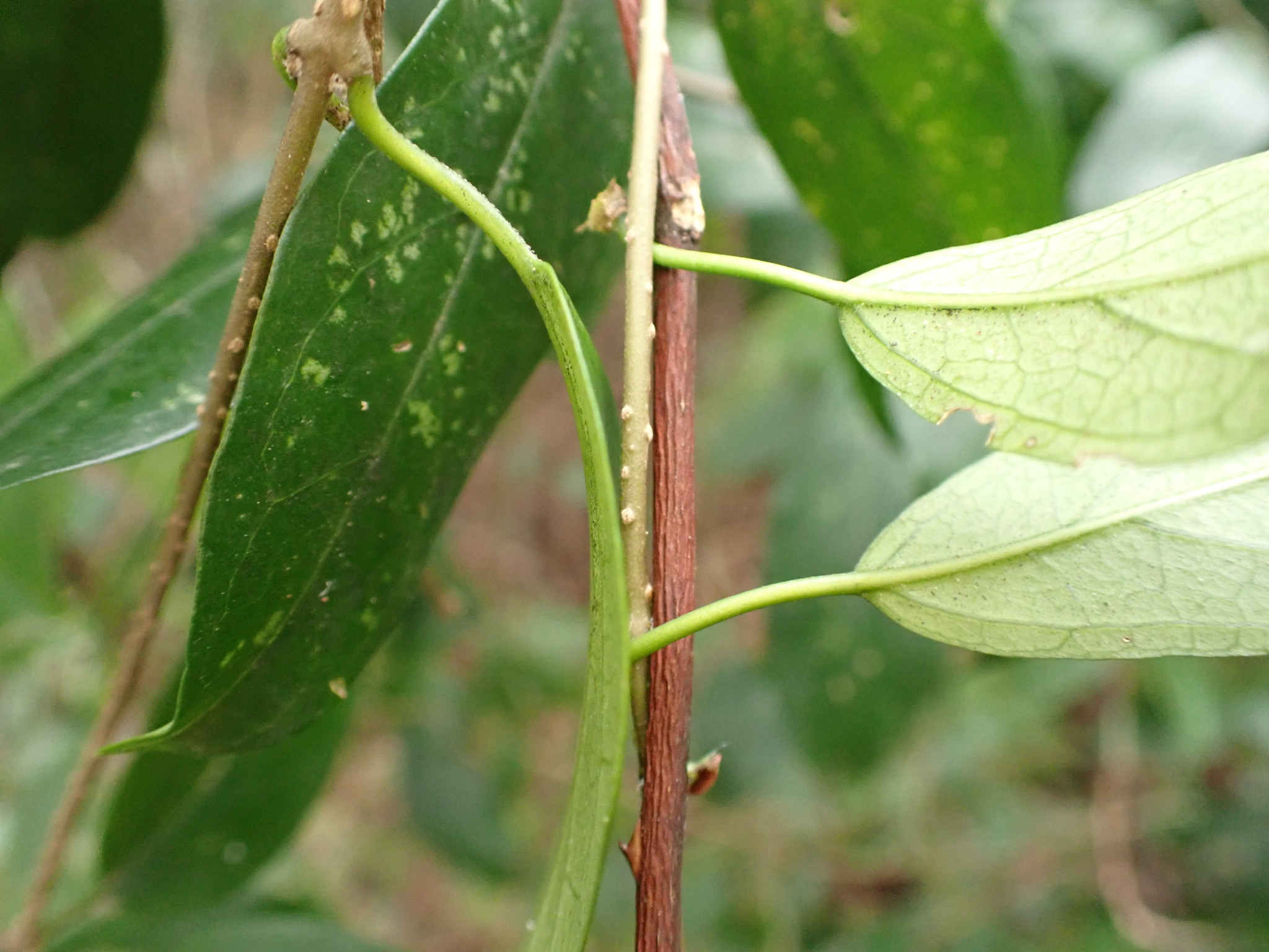
武靴藤 Gymnema sylvestre (Retz.) Schultes
[原始紀錄物種] 武靴藤 Gymnema sylvestre (Retz.) Schultes
鑑定
沈明雅 ● 2024-12-25
敏感層級
日期
2024-12-21
地點
25.12448,121.51704,102(原始座標誤差: 30m)
台北市北投區
記錄者
周志和
物候
枝葉成熟期
族群數量
常見common
描述
授權
照片授權: CC BY (周志和)
識別號
b7b4812e-93b9-4f92-93eb-b80896dbb25d (OccurrenceUUID)
2151659 (nid)
鑑定歷程
日期 鑑定者 學名 中名 參考文獻 備註
2024-12-25 沈明雅 Gymnema sylvestre 武靴藤