移至主內容
物種
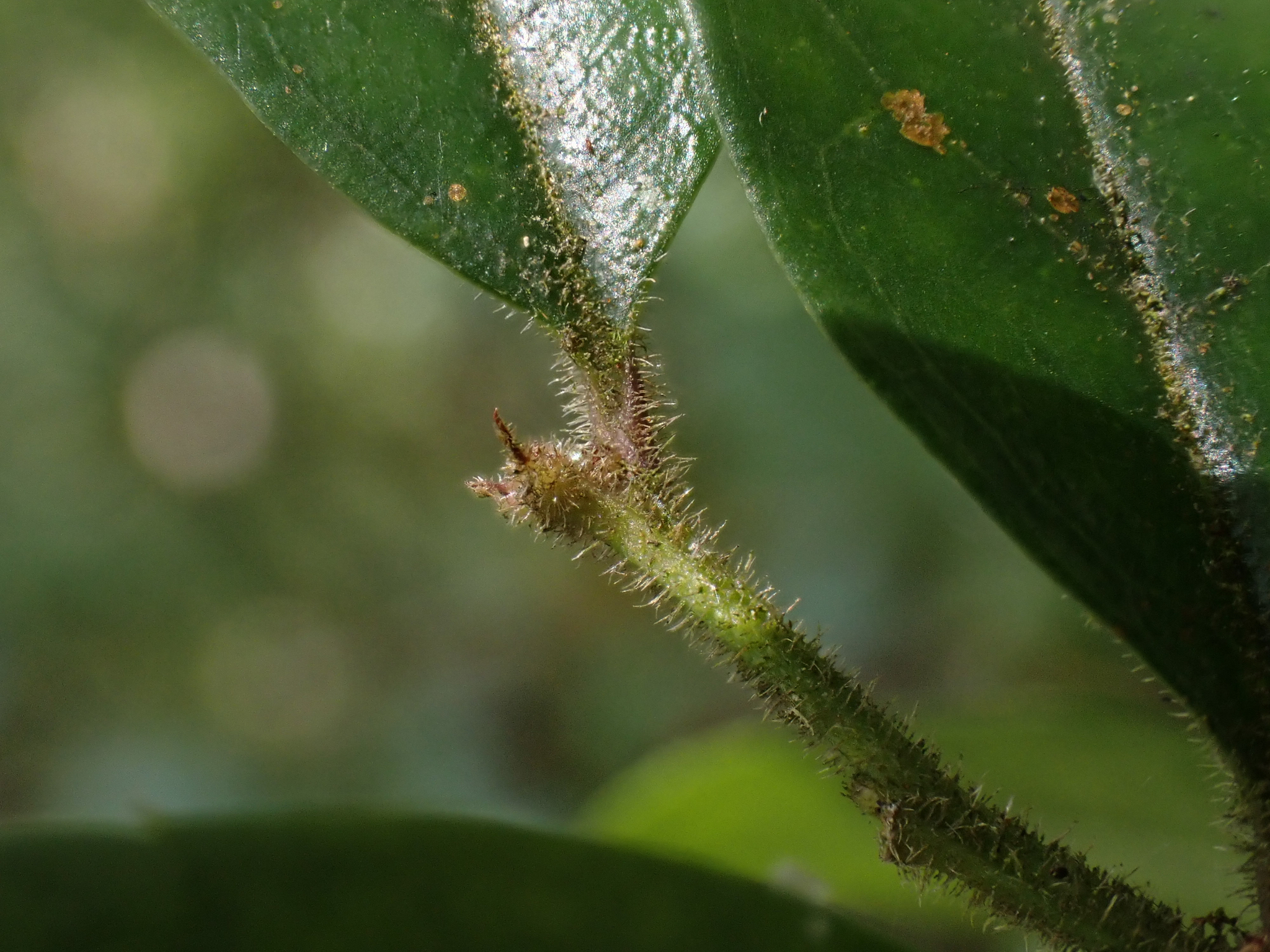
密毛假黃楊 Ilex pubescens Hook. & Arn.
[原始紀錄物種] 密毛假黃楊 Ilex pubescens Hook. & Arn.
鑑定
鍾明哲 ● 2021-05-17
敏感層級
日期
2021-05-07
地點
24.91012,121.68238
新北市坪林區
記錄者
陳慧珠
物候
開花期
族群數量
中等medium
描述
授權
照片授權: CC BY (陳慧珠)
識別號
b8e6ab91-dec5-4509-8318-f93ea02fc4d5 (OccurrenceUUID)
2062036 (nid)
鑑定歷程
日期 鑑定者 學名 中名 參考文獻 備註
2021-05-17 鍾明哲 Ilex pubescens