移至主內容
物種
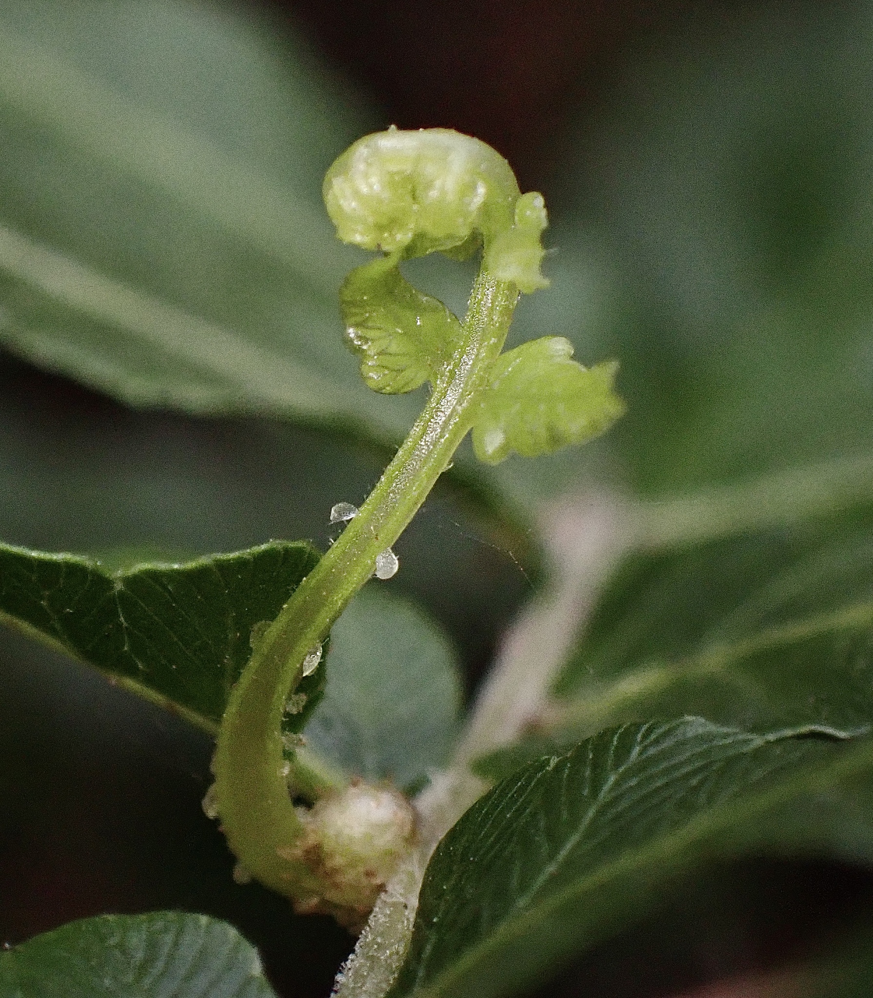
星毛蕨 Ampelopteris prolifera (Retz.) Copel.
[原始紀錄物種] 過溝菜蕨 Diplazium esculentum (Retz.) Sw.
鑑定
張智翔 ● 2025-01-14
敏感層級
日期
2025-01-11
地點
23.47394,120.29543,12
嘉義縣太保市 故宮南院
記錄者
Jenny Tsai
物候
枝葉成熟期, 著生不定芽
族群數量
中等medium
描述
授權
照片授權: CC BY (Jenny Tsai)
識別號
bffb2762-4e46-4557-b953-69d0e9438009 (OccurrenceUUID)
2152627 (nid)
鑑定歷程
日期 鑑定者 學名 中名 參考文獻 備註
2025-01-14 張智翔 Ampelopteris prolifera 星毛蕨