移至主內容
物種
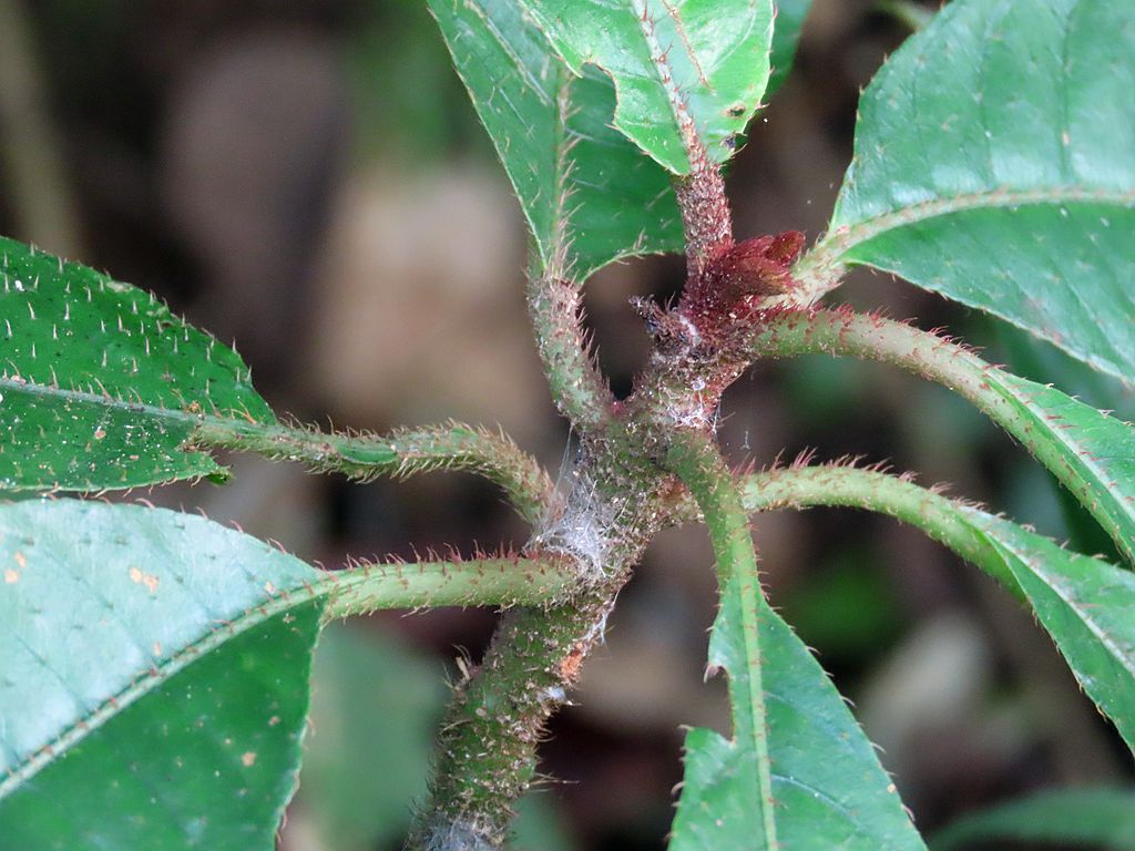
水冬瓜 Saurauia tristyla DC.
[原始紀錄物種] 水冬瓜 Saurauia tristyla var. oldhamii (Hemsl.) Finet & Gagnep.
鑑定
鍾明哲 ● 2021-11-08 ● 學名於最後鑑定後更名
敏感層級
日期
2021-11-06
地點
25.03198,121.59138
台北市信義區 虎山自然步道
記錄者
鍾惟旻
物候
新葉發育開展期, 枝葉成熟期
族群數量
常見common
描述
授權
照片授權: CC BY (鍾惟旻)
識別號
c7bbd56b-150d-470d-a41c-1189f078dd11 (OccurrenceUUID)
2073581 (nid)
鑑定歷程
日期 鑑定者 學名 中名 參考文獻 備註
2021-11-08 鍾明哲 Saurauia tristyla oldhamii 水冬瓜