物種
鑑定
劉冠廷 ● 2022-12-01
敏感層級
日期
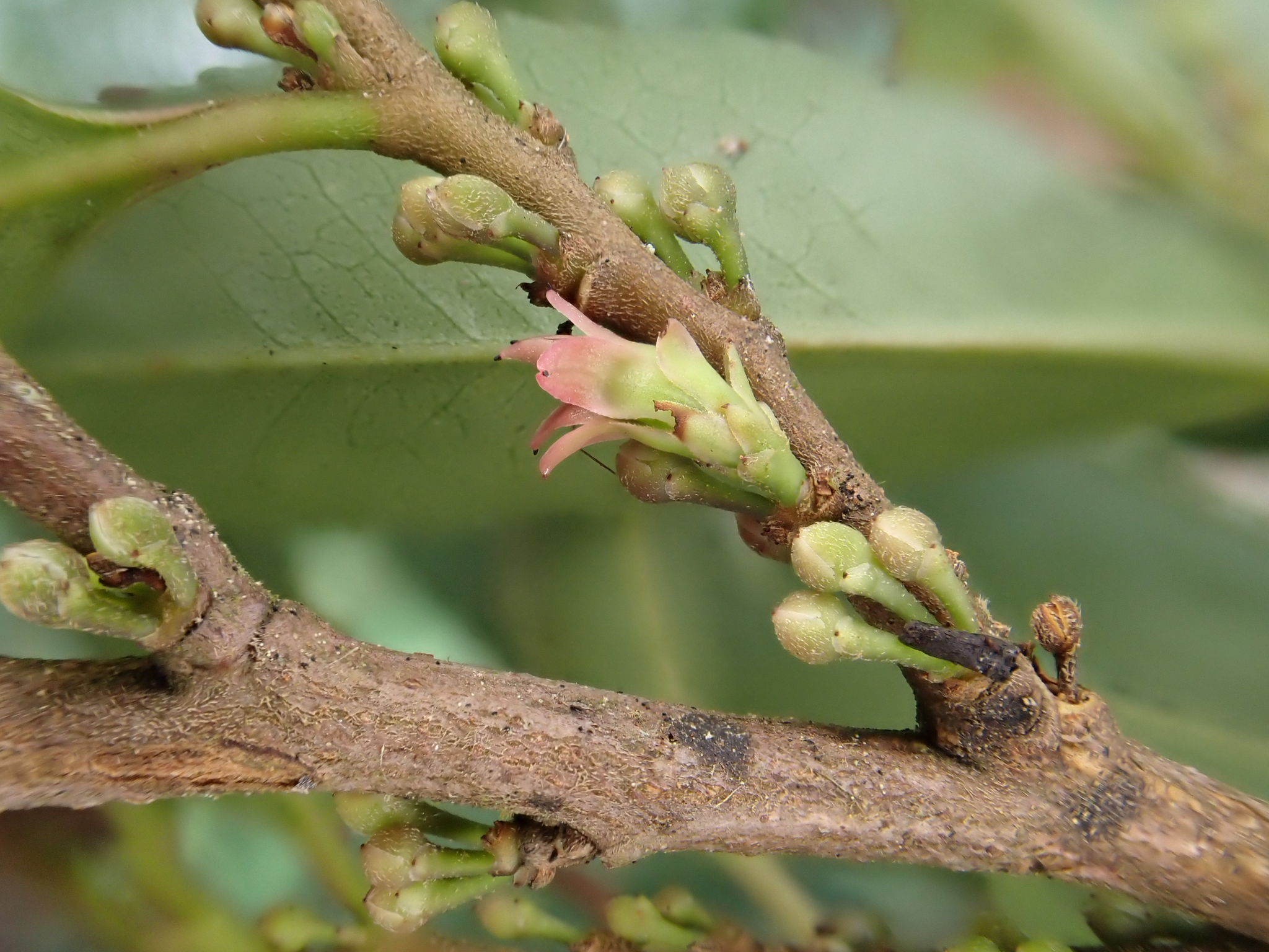
2020-09-05
地點
24.21584,121.65305
花蓮縣秀林鄉
花蓮縣秀林鄉
記錄者
陳佩華
物候
幼葉捲曲/芽苞抽長期
族群數量
一些some
描述
授權
照片授權: CC BY (陳佩華)
識別號
d261bf6d-9aab-45e8-bebd-9fc82b64da11 (OccurrenceUUID)
2064575 (nid)
2064575 (nid)
鑑定歷程
| 日期 | 鑑定者 | 學名 | 中名 | 參考文獻 | 備註 |
|---|---|---|---|---|---|
| 2022-12-01 | 劉冠廷 | Eurya gnaphalocarpa | 毛果柃木 | ||
| 2022-05-11 | 鍾明哲 | Quercus stenophylloides | 狹葉櫟 |