物種
鑑定
鍾明哲 ● 2023-06-15
敏感層級
日期
2023-06-07
地點
23.45547,121.40237
花蓮縣玉里鎮
花蓮縣玉里鎮
記錄者
安珠
物候
不確定
族群數量
描述
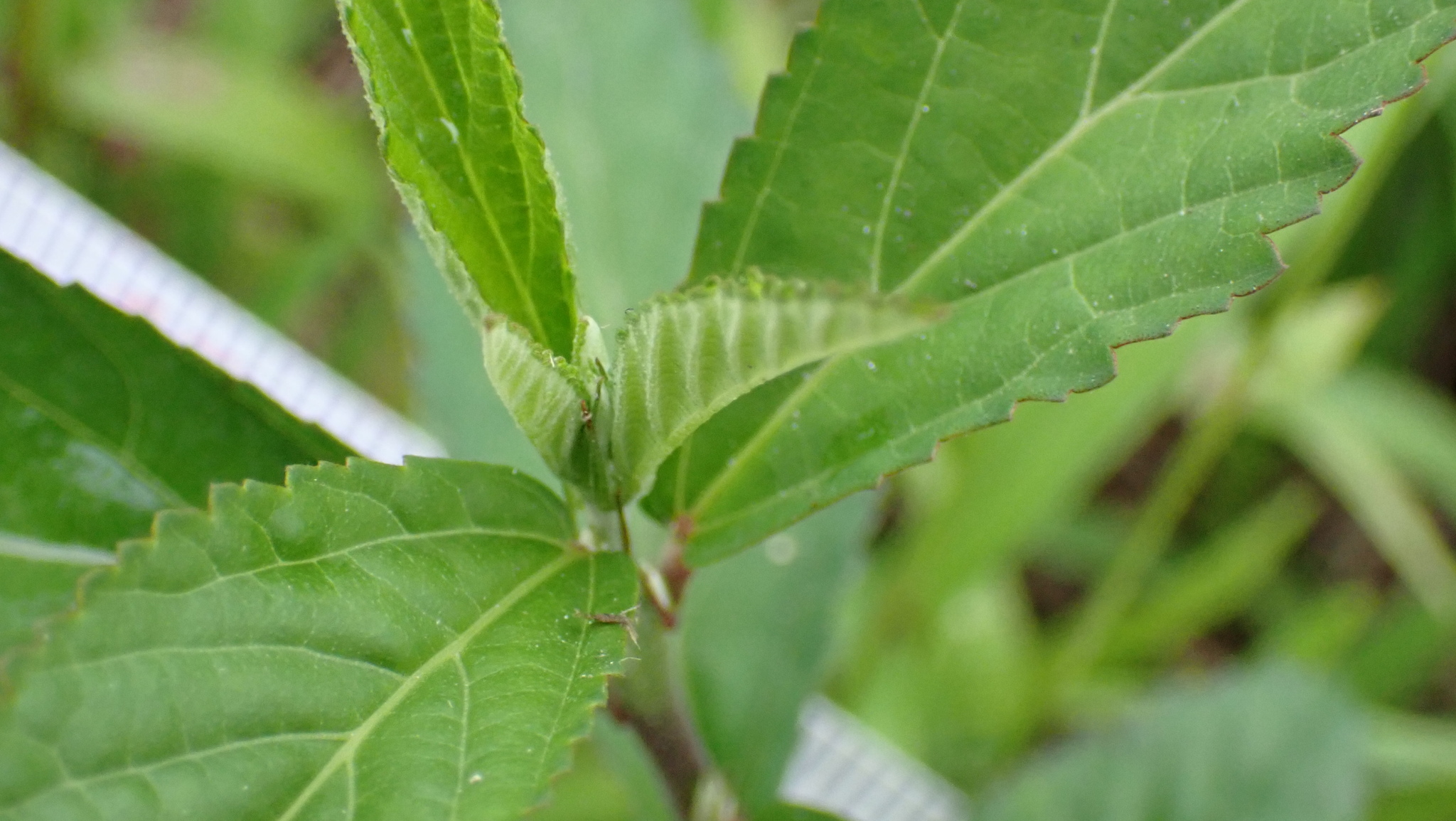
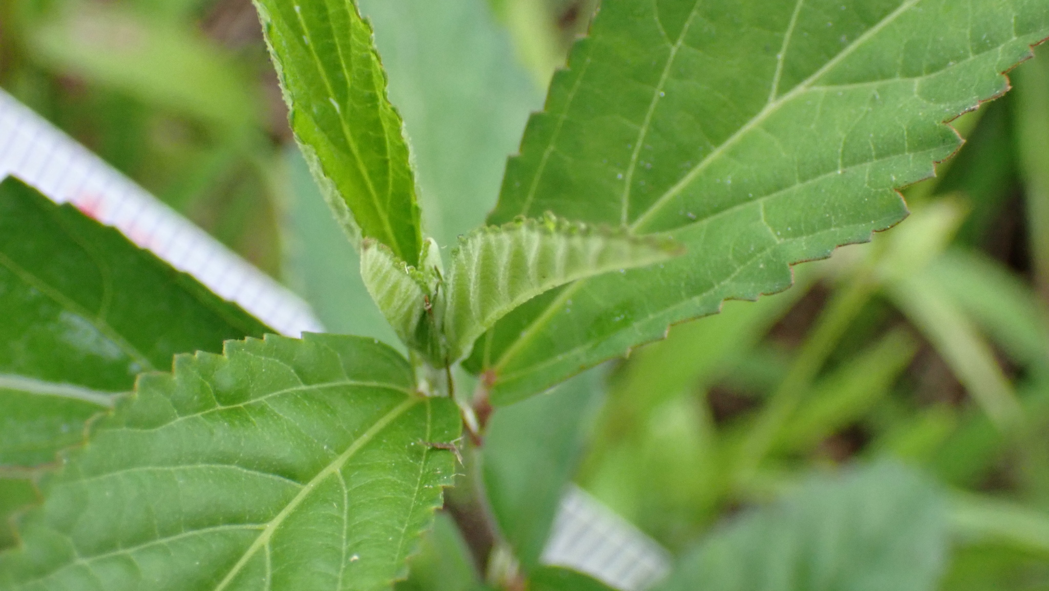
花蓮農地
授權
照片授權: CC BY (安珠)
識別號
d7f52ca8-b9a9-45fa-b88d-f0d338aa9539 (OccurrenceUUID)
2112891 (nid)
2112891 (nid)
鑑定歷程
| 日期 | 鑑定者 | 學名 | 中名 | 參考文獻 | 備註 |
|---|---|---|---|---|---|
| 2023-06-15 | 鍾明哲 | Sida rhombifolia | 金午時花 |